|
|
|
|
|
|
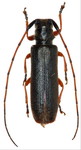
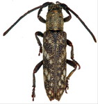
キクスイモドキカミキリ Asaperda rufipes rufipes Bates, 1873 オス 福岡県 |
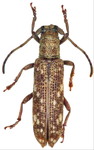
キクスイモドキカミキリ Asaperda rufipes rufipes Bates, 1873 メス 福岡県 |
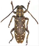
ツシマキクスイモドキカミキリ Asaperda rufipes tsushimae Breuning, 1955 オス 長崎県 |
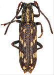
ツシマキクスイモドキカミキリ Asaperda rufipes tsushimae Breuning, 1955 メス 長崎県 |
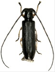
トゲムネホソヒゲカミキリ Asaperda tenuicornis Komiya, 1984 オス 和歌山県 |
カノコサビカミキリ Apomecyna naevia naevia Bates, 1873 オス 鹿児島県 |
|
|
|
|
|
|
カノコサビカミキリ Apomecyna naevia naevia Bates, 1873 メス 鹿児島県 |
クマゲカノコサビカミキリ Apomecyna naevia yokoyamai Hayashi, 1974 オス 沖縄県 |
クマゲカノコサビカミキリ Apomecyna naevia yokoyamai Hayashi, 1974 メス 沖縄県 |
トカラカノコサビカミキリ Apomecyna naevia tsutsuii Hayashi, 1956 オス 鹿児島県 |
トカラカノコサビカミキリ Apomecyna naevia tsutsuii Hayashi, 1956 メス 鹿児島県 |
オキノエラブカノコサビカミキリ Apomecyna naevia iriei Hayashi, 1974 オス 鹿児島県 |
|
|
|
|
|
|
オキノエラブカノコサビカミキリ Apomecyna naevia iriei Hayashi, 1974 メス 鹿児島県 |
オキナワカノコサビカミキリ Apomecyna naevia deguchii Kusama et Takakuwa, 1984 オス 沖縄県 |
ヤエヤマカノコサビカミキリ Apomecyna histrioides Kusama et Takakuwa, 1984 オス 沖縄県 |
ヤエヤマカノコサビカミキリ Apomecyna histrioides Kusama et Takakuwa, 1984 メス 沖縄県 |
ヨスジシラホシサビカミキリ Apomecyna histrio histrio (Fabricius, 1792) オス 沖縄県 |
オキナワヨスジシラホシサビカミキリ Apomecyna histrio okinawana Makihara, 1992 オス 沖縄県 |