日本産カミキリムシ

オキノエラブカノコサビカミキリ
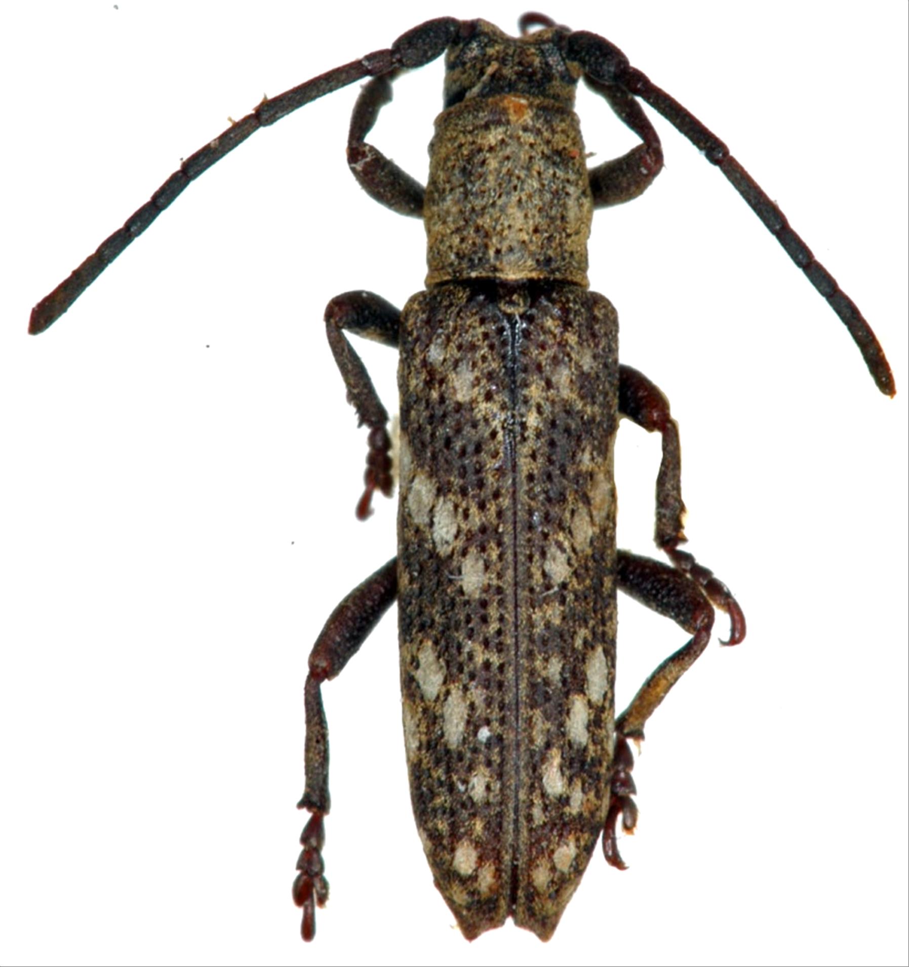
カミキリムシ科
フトカミキリ亜科


Apomecyna naevia iriei  Hayashi, 1974
Cerambycidae
Lamiinae
標本データ
性:オス
体長(mm):7.5
採集日:1974/07/02
採集地(国):日本
採集地(都道府県):鹿児島県
採集地(市町村):知名町沖永良部島和泊
採集地(詳細):
更新日:2017/08/08



戻る