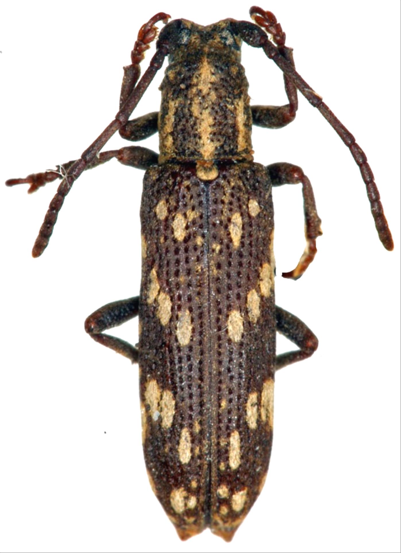
日本産カミキリムシ

トカラカノコサビカミキリ
カミキリムシ科
フトカミキリ亜科


Apomecyna naevia tsutsuii  Hayashi, 1956
Cerambycidae
Lamiinae
標本データ
性:メス
体長(mm):9
採集日:1973/06/24
採集地(国):日本
採集地(都道府県):鹿児島県
採集地(市町村):十島村中之島
採集地(詳細):
更新日:2017/08/08



戻る