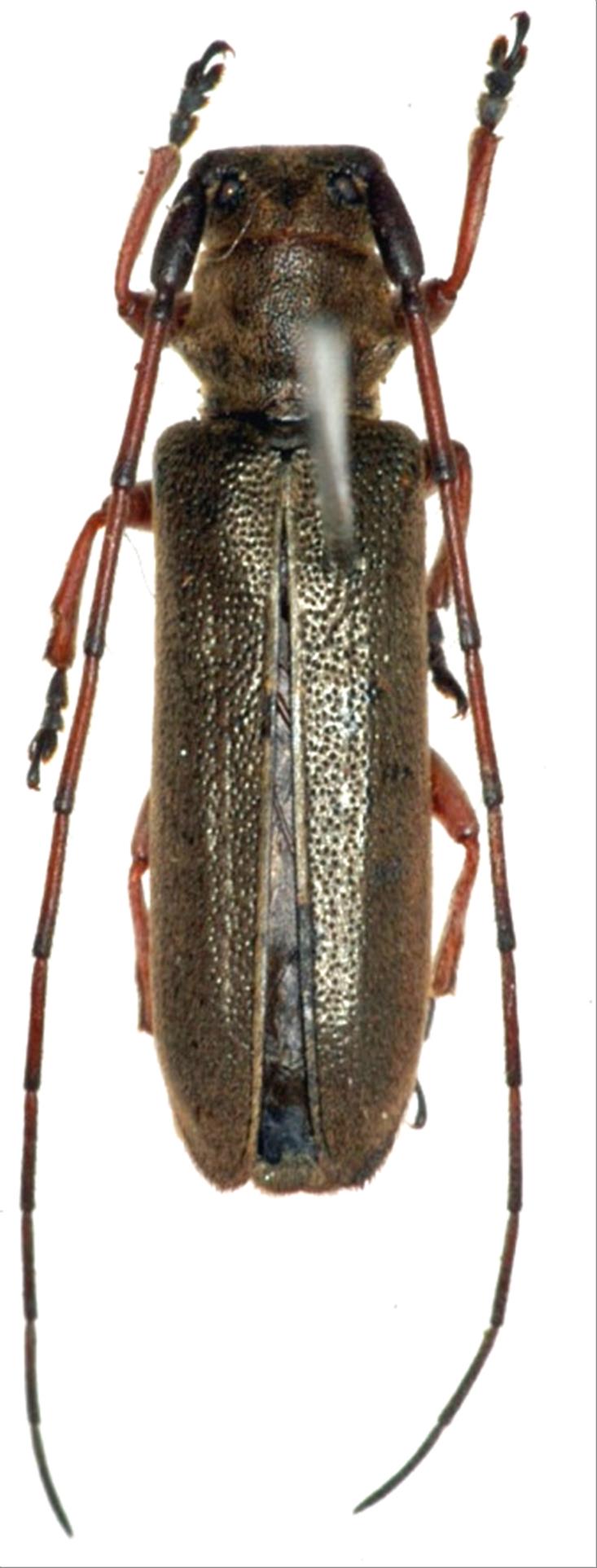
日本産カミキリムシ

ツシマキクスイモドキカミキリ
カミキリムシ科
フトカミキリ亜科


Asaperda rufipes tsushimae  Breuning, 1955
Cerambycidae
Lamiinae
標本データ
性:メス
体長(mm):11
採集日:1978/05/06 〜 1978/05/08
採集地(国):日本
採集地(都道府県):長崎県
採集地(市町村):対馬市峰町大星山
採集地(詳細):
更新日:2017/08/08



戻る