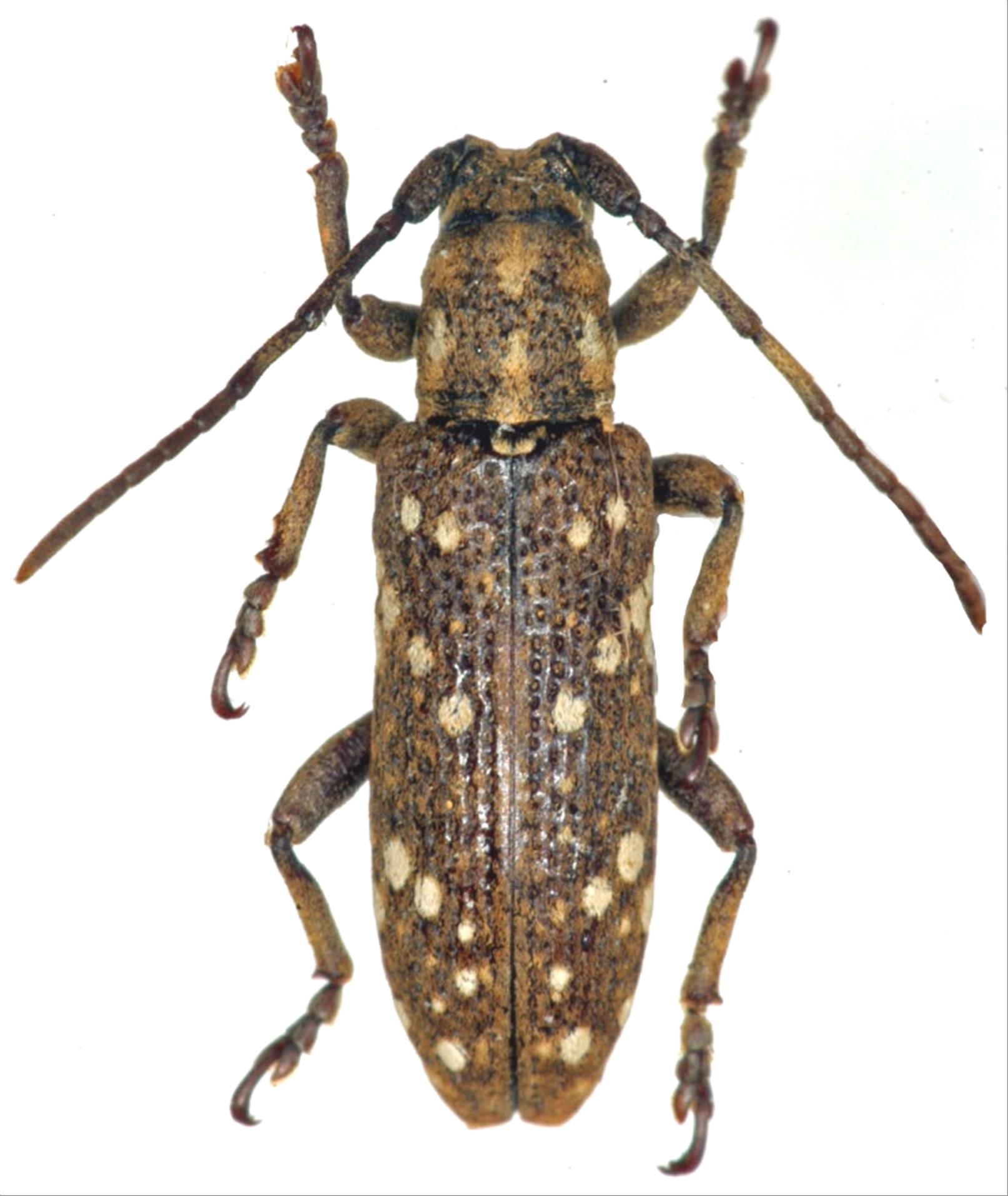
日本産カミキリムシ

オキナワヨスジシラホシサビカミキリ
カミキリムシ科
フトカミキリ亜科


Apomecyna histrio okinawana  Makihara, 1992
Cerambycidae
Lamiinae
標本データ
性:オス
体長(mm):10.5
採集日:1976/06/30
採集地(国):日本
採集地(都道府県):沖縄県
採集地(市町村):国頭村奥
採集地(詳細):
更新日:2017/08/08



戻る