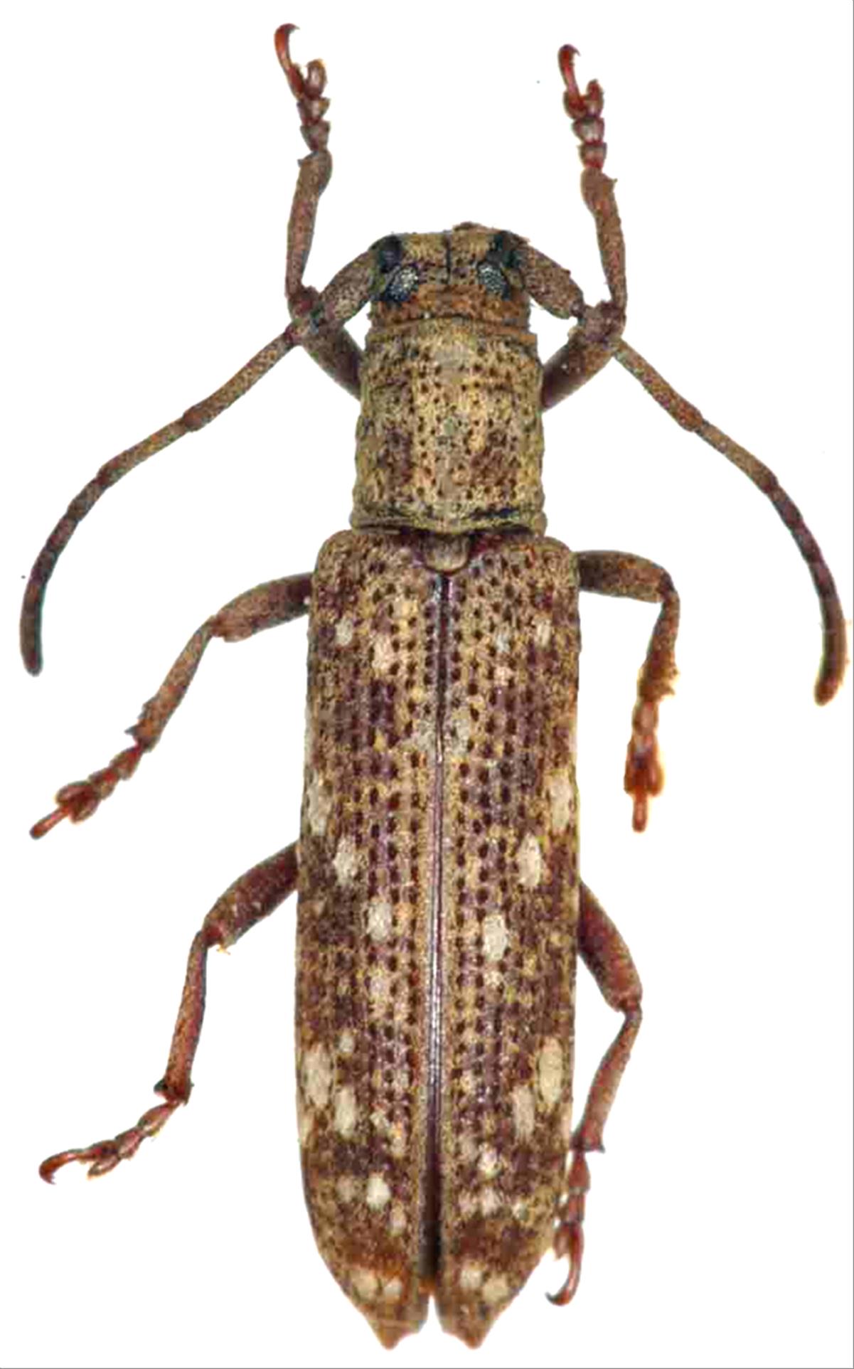
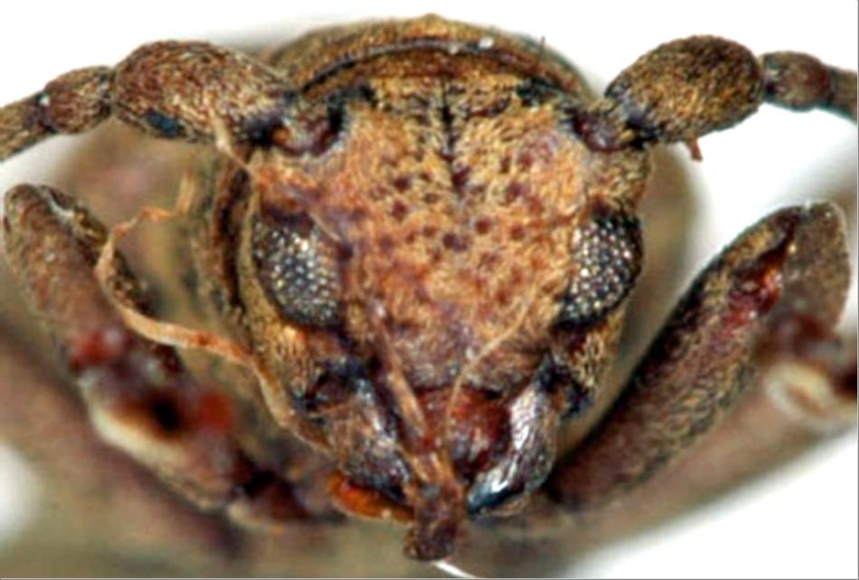
日本産カミキリムシ

オキナワカノコサビカミキリ
カミキリムシ科
フトカミキリ亜科


Apomecyna naevia deguchii  Kusama et Takakuwa, 1984
Cerambycidae
Lamiinae
標本データ
性:オス
体長(mm):8
採集日:1974/05/22
採集地(国):日本
採集地(都道府県):沖縄県
採集地(市町村):南城市知念久手堅
採集地(詳細):
更新日:2017/08/08



戻る