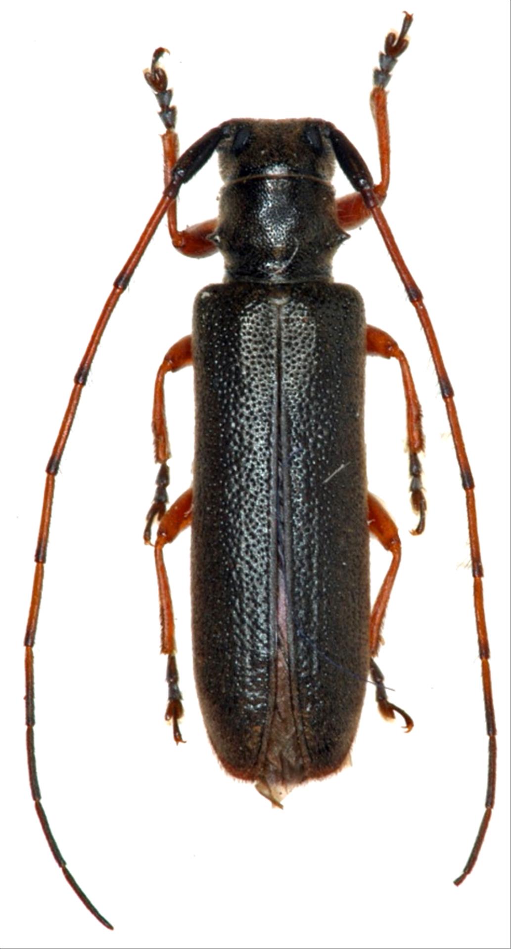
日本産カミキリムシ

キクスイモドキカミキリ
カミキリムシ科
フトカミキリ亜科


Asaperda rufipes rufipes  Bates, 1873
Cerambycidae
Lamiinae
標本データ
性:メス
体長(mm):8
採集日:1971/05/13
採集地(国):日本
採集地(都道府県):福岡県
採集地(市町村):添田町英彦山
採集地(詳細):
更新日:2017/08/08



戻る