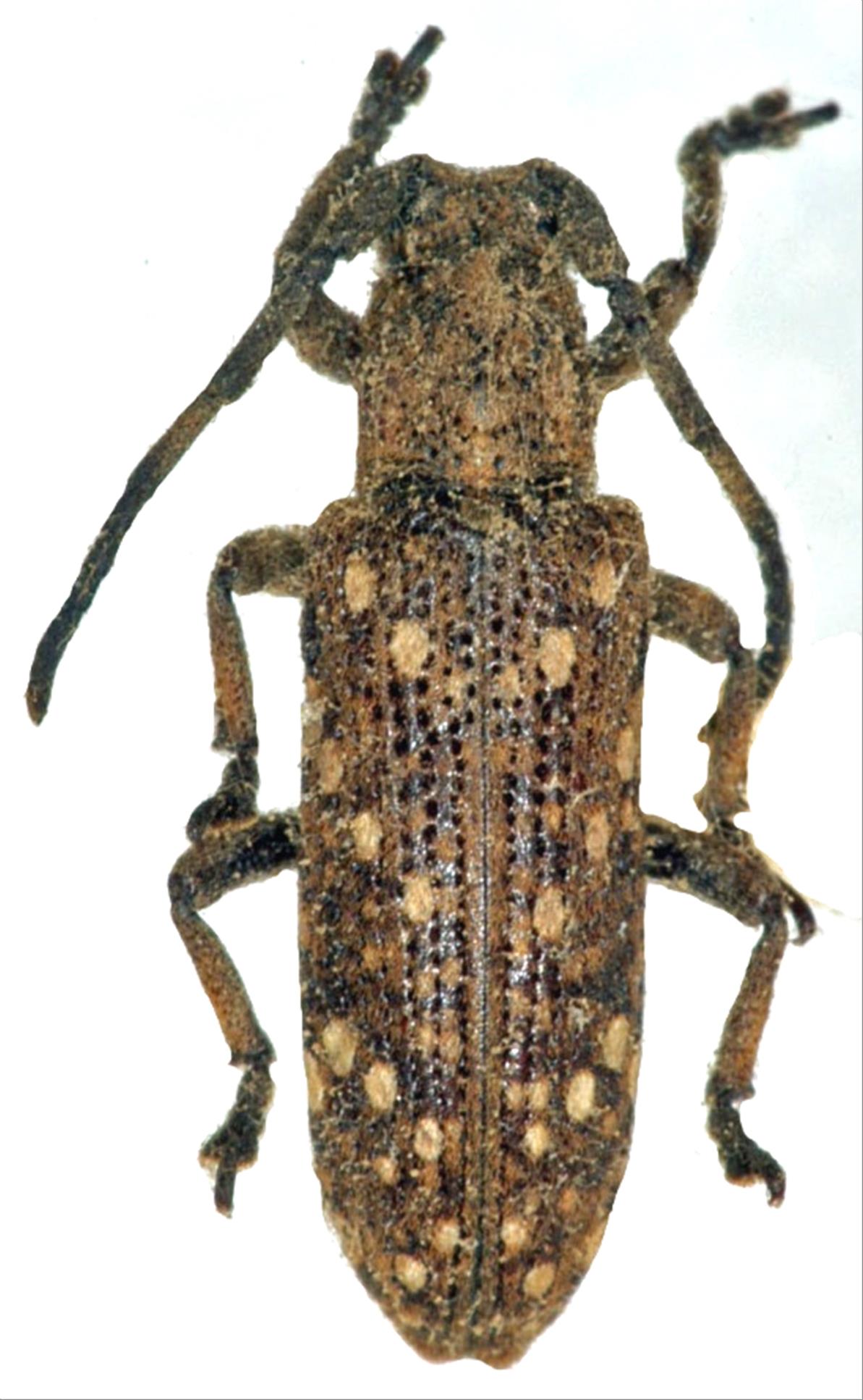
日本産カミキリムシ

ヨスジシラホシサビカミキリ
カミキリムシ科
フトカミキリ亜科


Apomecyna histrio histrio  (Fabricius, 1792)
Cerambycidae
Lamiinae
標本データ
性:オス
体長(mm):9.5
採集日:1969/04/12
採集地(国):日本
採集地(都道府県):沖縄県
採集地(市町村):竹富町大富
採集地(詳細):西表島
更新日:2017/08/08



戻る