日本産カミキリムシ

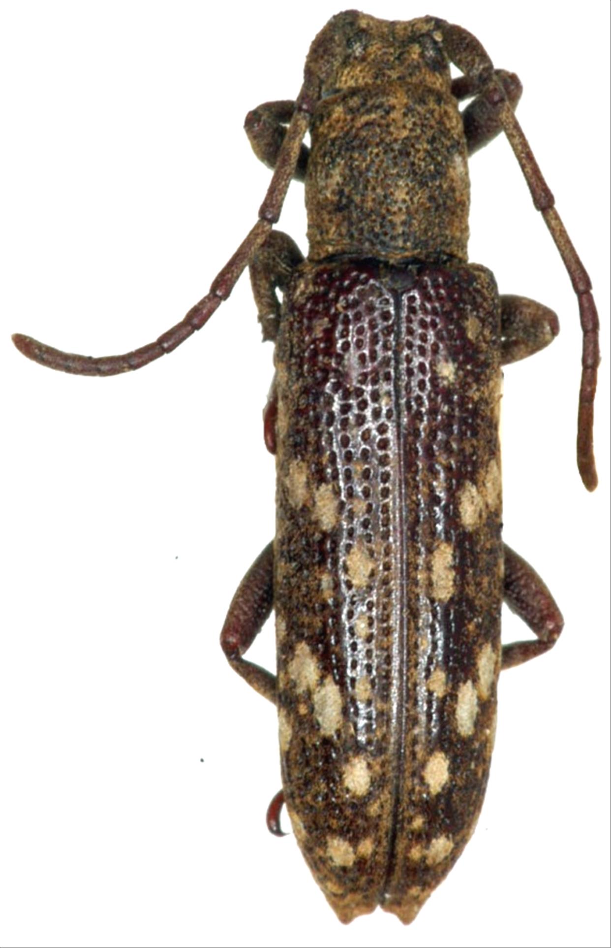
クマゲカノコサビカミキリ
カミキリムシ科
フトカミキリ亜科


Apomecyna naevia yokoyamai  Hayashi, 1974
Cerambycidae
Lamiinae
標本データ
性:メス
体長(mm):10
採集日:1969/06/26 〜 1969/07/03
採集地(国):日本
採集地(都道府県):沖縄県
採集地(市町村):十島村口之島
採集地(詳細):
更新日:2017/08/08



戻る