|
|
|
|
|
|
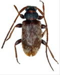
イカリモンケシカミキリ Exocentrus taniguchii Makihara,1986 オス 台湾 |
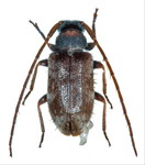
ヨコグロケシカミキリ Exocentrus fisheri Gressitt,1935 オス 栃木県 |
ヨコグロケシカミキリ Exocentrus fisheri Gressitt,1935 メス 北海道 |
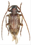
シラオビゴマフケシカミキリ Exocentrus guttulatus Bates,1873 オス 熊本県 |
シラオビゴマフケシカミキリ Exocentrus guttulatus Bates,1873 メス 千葉県 |
クモガタケシカミキリ Exocentrus fasciolatus Bates,1873 オス 山形県 |
|
|
|
|
|
|
クモガタケシカミキリ Exocentrus fasciolatus Bates,1873 メス 長崎県 |
リュウキュウクモガタケシカミキリ Exocentrus takakuwai Makihara,1982 オス 鹿児島県 |
ツシマケシカミキリ Exocentrus tsushimanus Hayashi,1968 オス 長崎県 |
ツシマケシカミキリ Exocentrus tsushimanus Hayashi,1968 メス 長崎県 |
サトウケシカミキリ Exocentrus satoi K. Ohbayashi,1961 オス 鹿児島県 |
サトウケシカミキリ Exocentrus satoi K. Ohbayashi,1961 メス 鹿児島県 |
|
|
|
|
|
|
ナカネケシカミキリ Exocentrus nakanei Makihara,1986 メス 沖縄県 |
ヨナグニジュウジクロカミキリ Euryclytosemia nomurai Hayashi, 1963 オス  |
ヨナグニジュウジクロカミキリ Euryclytosemia nomurai Hayashi, 1963 メス 沖縄県 |
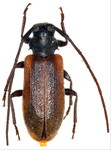
クロオビトゲムネカミキリ Sciades fasciatus fasciatus (Matsushita, 1943) オス 福岡県 |
クロオビトゲムネカミキリ Sciades fasciatus fasciatus (Matsushita, 1943) メス 鹿児島県 |
アマミクロオビトゲムネカミキリ Sciades fasciatus nobuoi (Breuing et K. Ohbayashi, 1964) オス 鹿児島県 |