日本産カミキリムシ

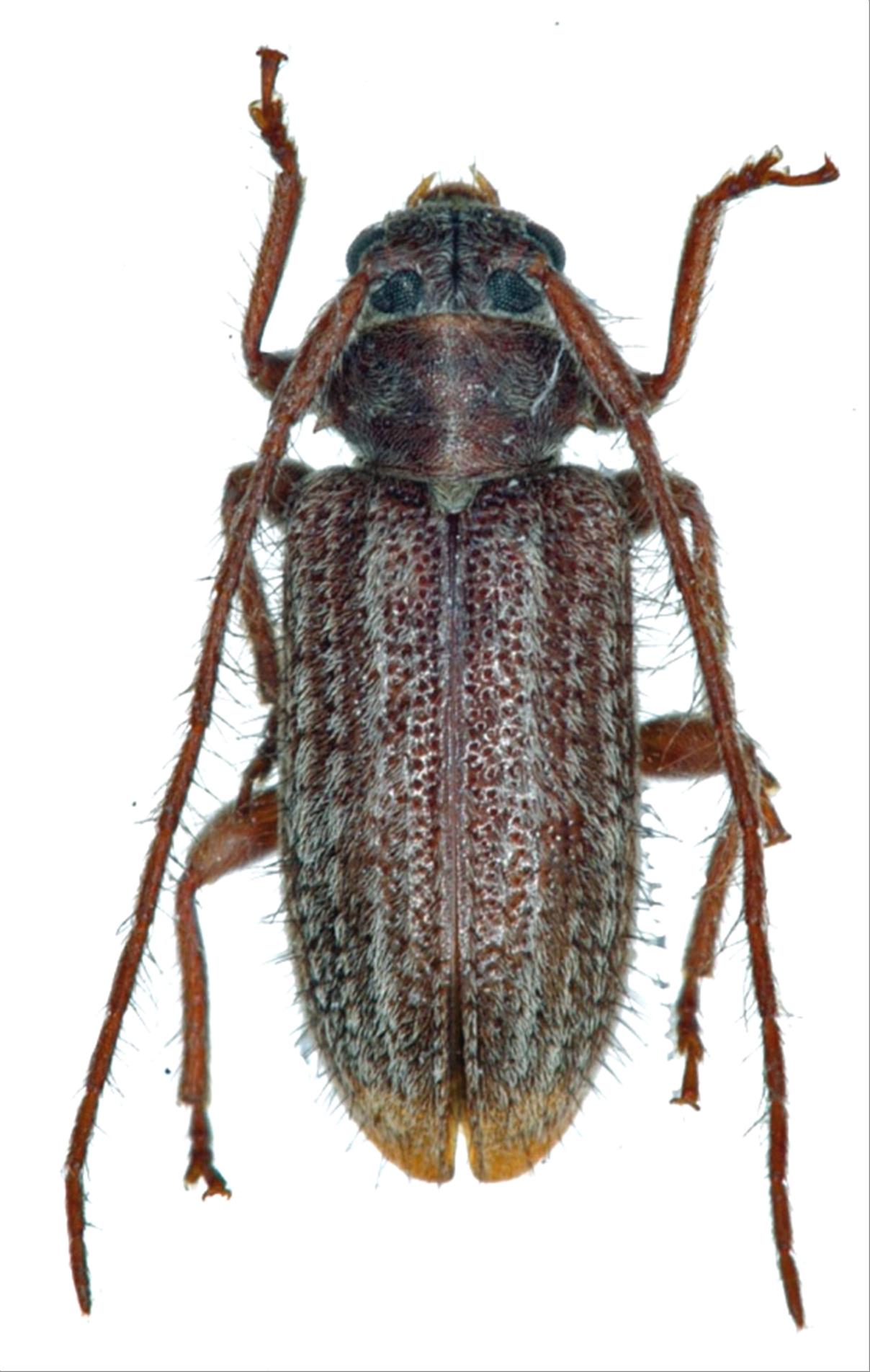
ナカネケシカミキリ
カミキリムシ科
フトカミキリ亜科


Exocentrus nakanei  Makihara,1986
Cerambycidae
Lamiinae
標本データ
性:メス
体長(mm):6
採集日:1981/05/29
採集地(国):日本
採集地(都道府県):沖縄県
採集地(市町村):石垣市於茂登岳
採集地(詳細):石垣島
更新日:2017/08/08



戻る