日本産カミキリムシ

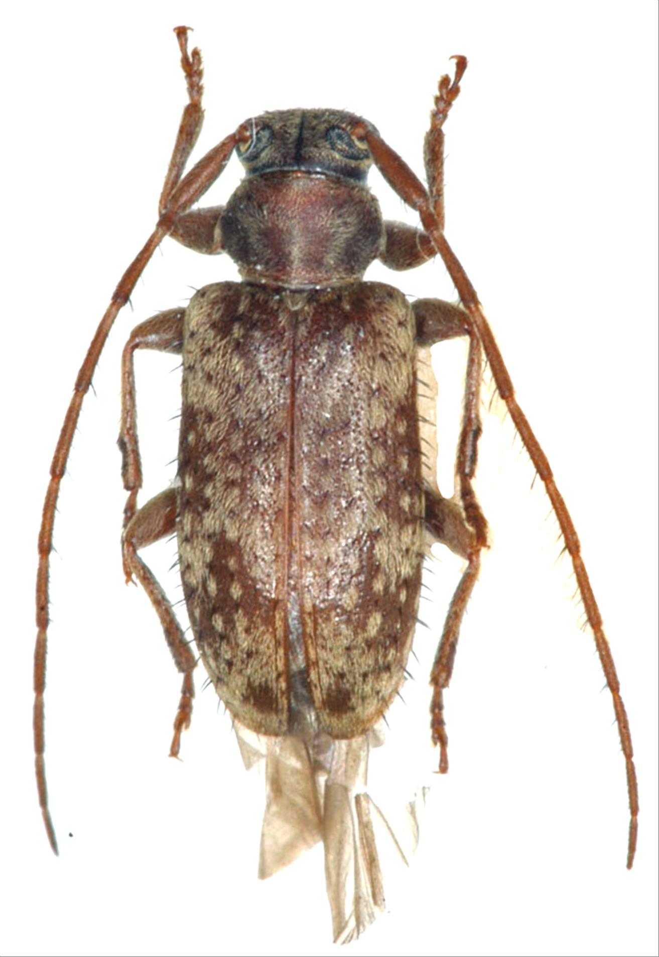
リュウキュウクモガタケシカミキリ
カミキリムシ科
フトカミキリ亜科


Exocentrus takakuwai  Makihara,1982
Cerambycidae
Lamiinae
標本データ
性:オス
体長(mm):7
採集日:1972/06/??
採集地(国):日本
採集地(都道府県):鹿児島県
採集地(市町村):徳之島町よこはま
採集地(詳細):
更新日:2017/08/08



戻る