日本産カミキリムシ

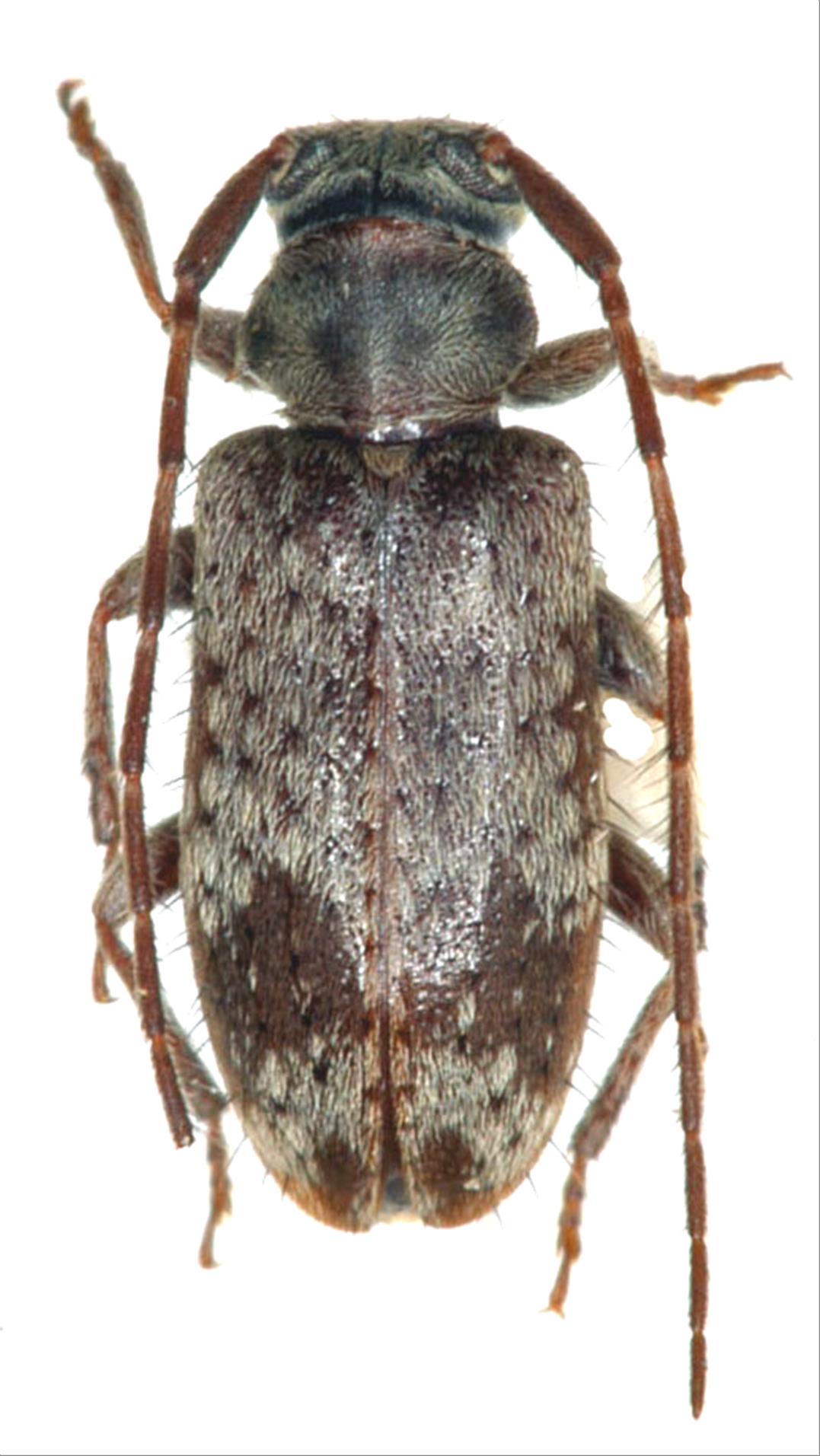
クモガタケシカミキリ
カミキリムシ科
フトカミキリ亜科


Exocentrus fasciolatus  Bates,1873
Cerambycidae
Lamiinae
標本データ
性:メス
体長(mm):5
採集日:1985/07/21 〜 1985/07/22
採集地(国):日本
採集地(都道府県):長崎県
採集地(市町村):対馬市峰町
採集地(詳細):
更新日:2017/08/08



戻る