日本産カミキリムシ

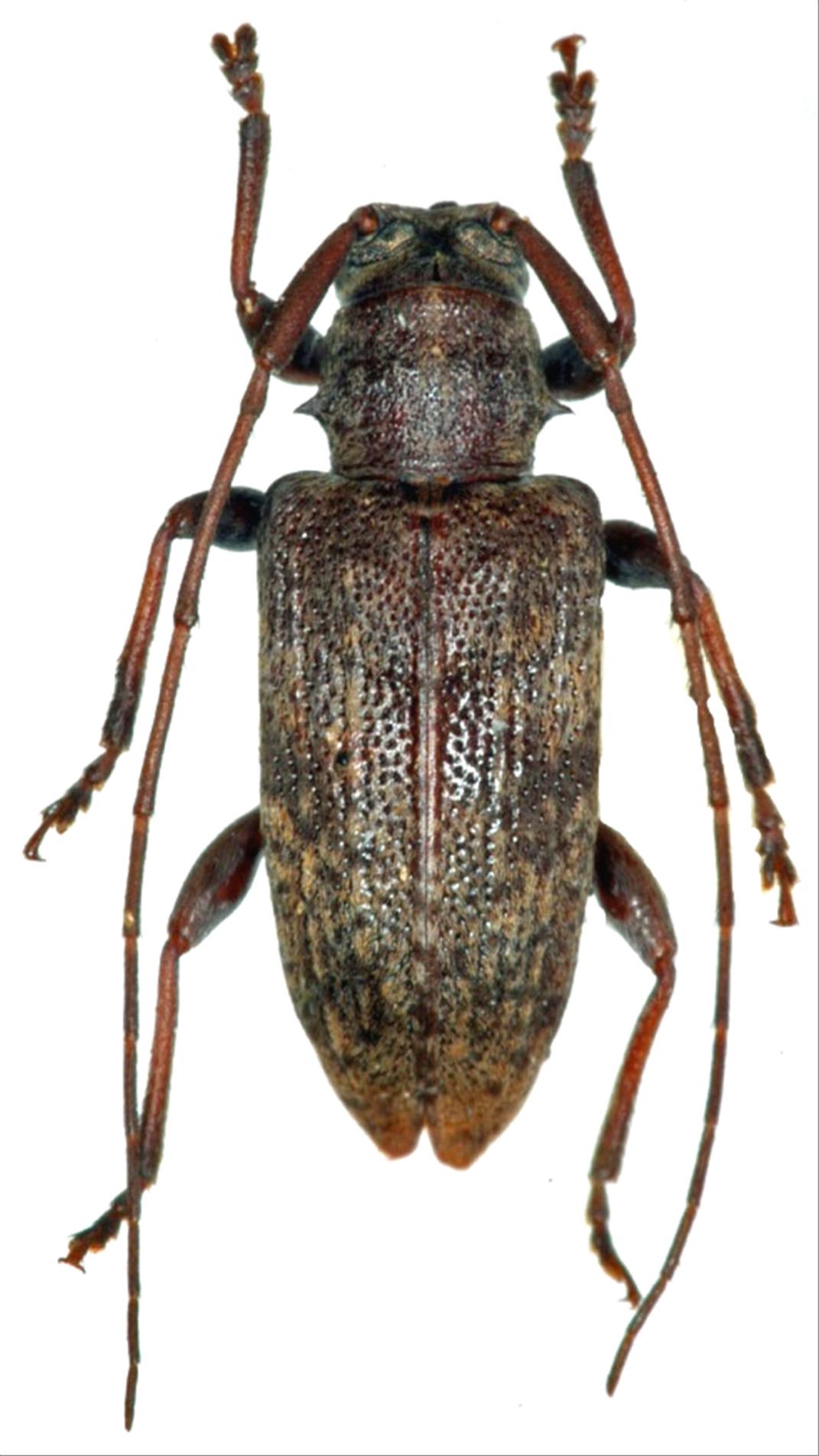
クロオビトゲムネカミキリ
カミキリムシ科
フトカミキリ亜科


Sciades fasciatus fasciatus  (Matsushita, 1943)
Cerambycidae
Lamiinae
標本データ
性:メス
体長(mm):8
採集日:1975/07/25
採集地(国):日本
採集地(都道府県):鹿児島県
採集地(市町村):十島村黒島おおごら
採集地(詳細):
更新日:2017/08/08



戻る