日本産カミキリムシ

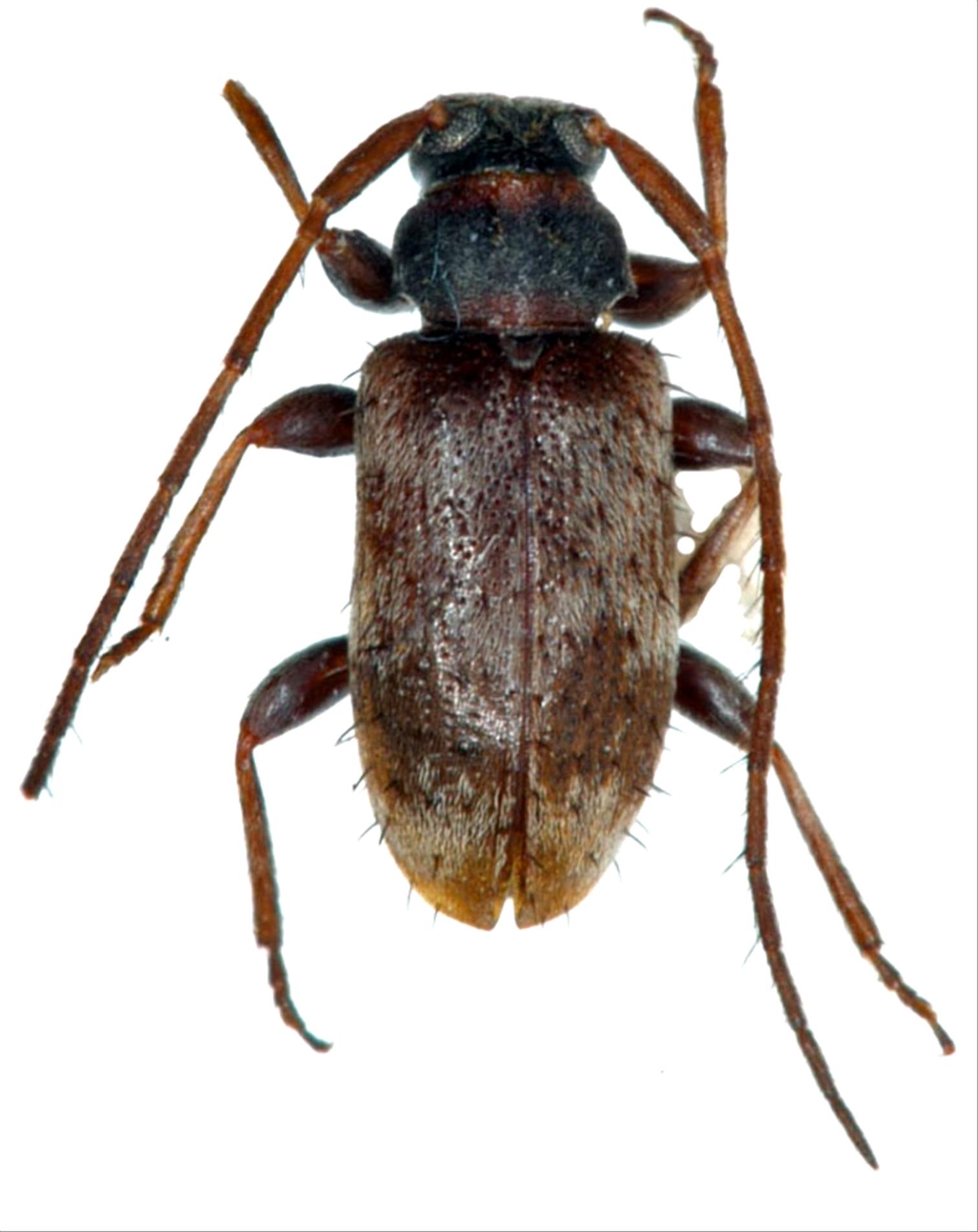
ツシマケシカミキリ
カミキリムシ科
フトカミキリ亜科


Exocentrus tsushimanus  Hayashi,1968
Cerambycidae
Lamiinae
標本データ
性:オス
体長(mm):3.8
採集日:1979/07/16
採集地(国):日本
採集地(都道府県):長崎県
採集地(市町村):対馬市美津島町鶏知
採集地(詳細):
更新日:2017/08/08



戻る