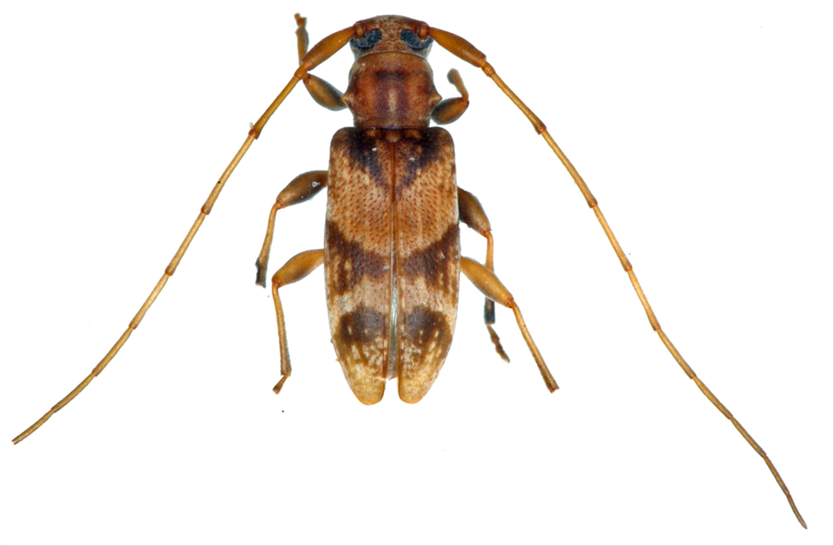
日本産カミキリムシ

ヨナグニジュウジクロカミキリ
カミキリムシ科
フトカミキリ亜科


Euryclytosemia nomurai  Hayashi, 1963
Cerambycidae
Lamiinae
標本データ
性:メス
体長(mm):5.5
採集日:2004/09/15
採集地(国):日本
採集地(都道府県):沖縄県
採集地(市町村):与那国町
採集地(詳細):与那国島
更新日:2017/08/08



戻る