日本産カミキリムシ

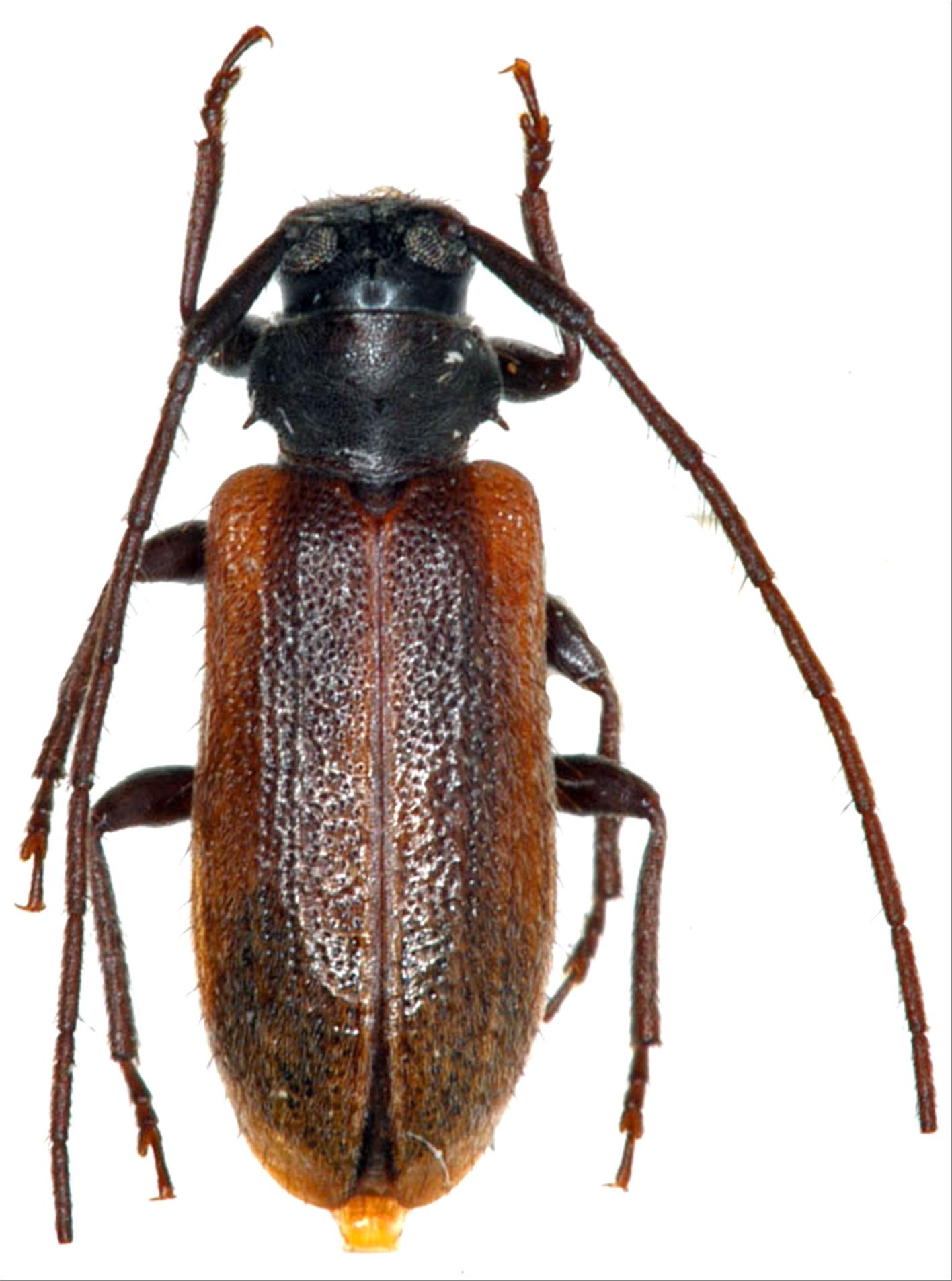
ヨコグロケシカミキリ
カミキリムシ科
フトカミキリ亜科


Exocentrus fisheri  Gressitt,1935
Cerambycidae
Lamiinae
標本データ
性:メス
体長(mm):6
採集日:1982/08/03
採集地(国):日本
採集地(都道府県):北海道
採集地(市町村):遠軽町丸瀬布
採集地(詳細):
更新日:2017/08/08



戻る