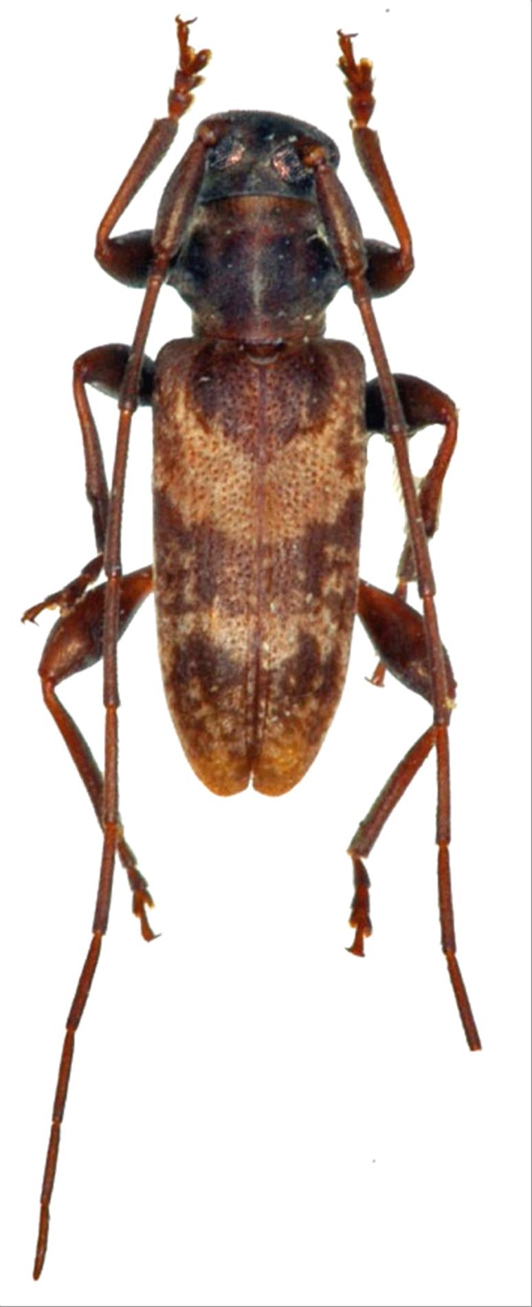
日本産カミキリムシ

ヨナグニジュウジクロカミキリ
カミキリムシ科
フトカミキリ亜科


Euryclytosemia nomurai  Hayashi, 1963
Cerambycidae
Lamiinae
標本データ
性:オス
体長(mm):5
採集日:1980/06/04 〜 1980/06/06
採集地(国):台湾
採集地(都道府県):
採集地(市町村):Hungtou Lan Hsu Taitung Hsien
採集地(詳細):
更新日:2017/08/08



戻る