|
|
|
|
|
|
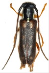
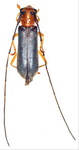
ラミーカミキリ Paraglenea fortunei (Saunders, 1853) オス 鹿児島県 |
ラミーカミキリ Paraglenea fortunei (Saunders, 1853) メス 長崎県 |
ヒゲナガヒメルリカミキリ Praolia citrinipes citrinipes Bates, 1884 オス 長崎県 |
ヒゲナガヒメルリカミキリ Praolia citrinipes citrinipes Bates, 1884 メス 長崎県 |
ヒゲナガウスシロカミキリ Praolia citrinipes umui Kusama et Takakuwa, 1984 メス 神奈川県 |
イシガキイトヒゲカミキリ Praolia citrinipes ishigakiana (N. Ohbayashi, 1970) オス 沖縄県 |
|
|
|
|
|
|
イシガキイトヒゲカミキリ Praolia citrinipes ishigakiana (N. Ohbayashi, 1970) メス 沖縄県 |
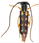
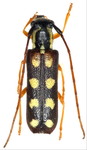
キモンカミキリ Menesia sulphurata (Gebler, 1825) オス 福島県 |
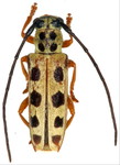
キモンカミキリ Menesia sulphurata (Gebler, 1825) メス 栃木県 |
クロキモンカミキリ Menesia akemiae Makihara, 1992 オス 高知県 |
オニグルミノキモンカミキリ Menesia flavotecta Meyden, 1886 オス 神奈川県 |
オニグルミノキモンカミキリ Menesia flavotecta Meyden, 1886 メス 福島県 |
|
|
|
|
|
|
カスガキモンカミキリ Paramenesia kasugensis (Seki et Kobayashi, 1935) メス 大分県 |
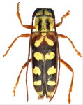
ジュウニキボシカミキリ Paramenesia theaphia (Bates, 1884) オス 山梨県 |
イッシキキモンカミキリ Glenea centroguttata Fairmaire, 1897 オス 愛媛県 |
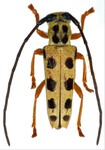
アマミモンキカミキリ Glenea iriei iriei Hayashi, 1971 オス 鹿児島県 |
アマミモンキカミキリ Glenea iriei iriei Hayashi, 1971 メス 鹿児島県 |
オキナワモンキカミキリ Glenea iriei heikichii Makihara, 1982 オス 沖縄県 |