日本産カミキリムシ

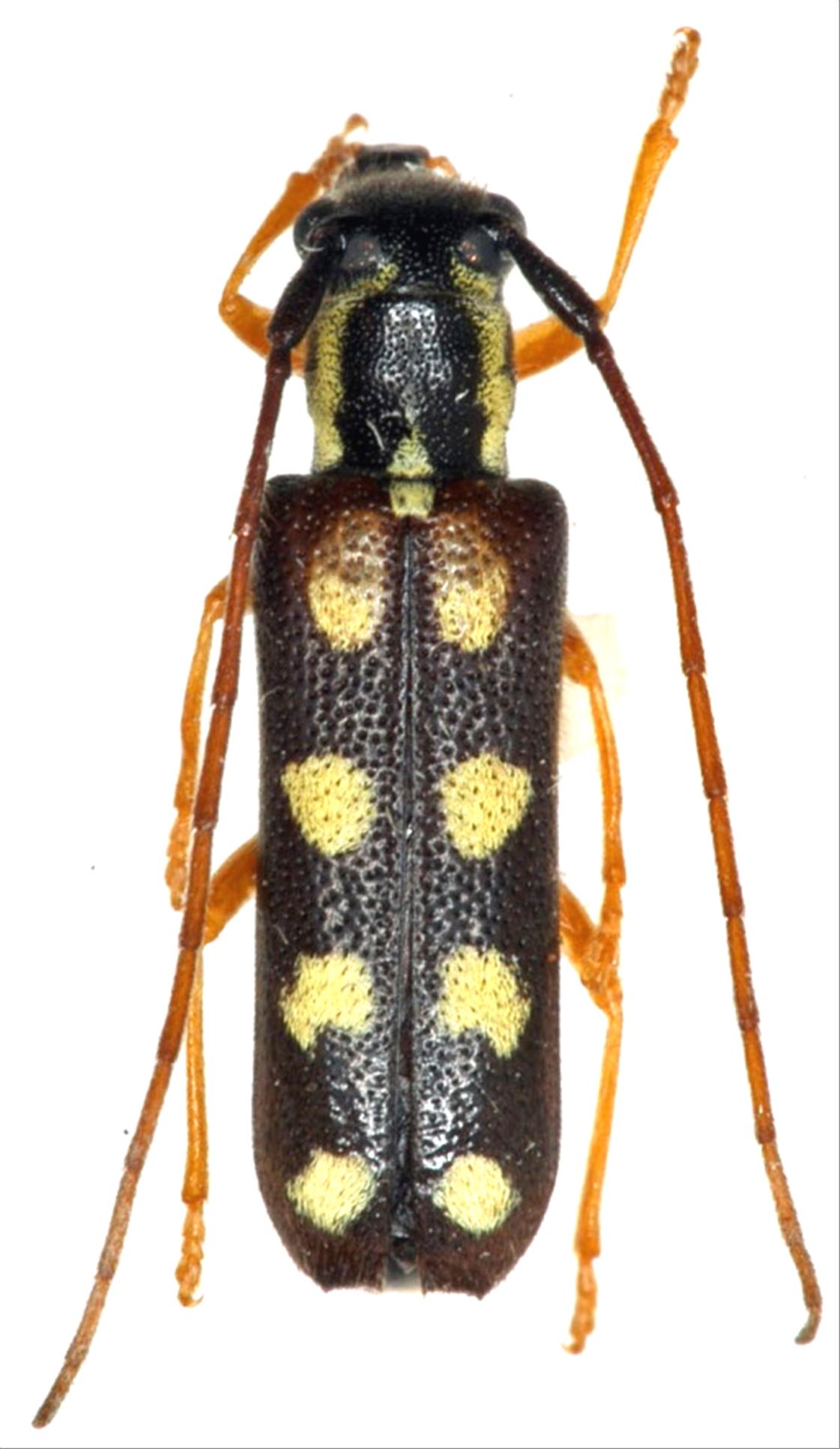
キモンカミキリ
カミキリムシ科
フトカミキリ亜科


Menesia sulphurata  (Gebler, 1825)
Cerambycidae
Lamiinae
標本データ
性:メス
体長(mm):10
採集日:1984/07/10 〜 1984/07/12
採集地(国):日本
採集地(都道府県):栃木県
採集地(市町村):日光市川俣八丁ノ湯
採集地(詳細):
更新日:2017/08/08



戻る