日本産カミキリムシ

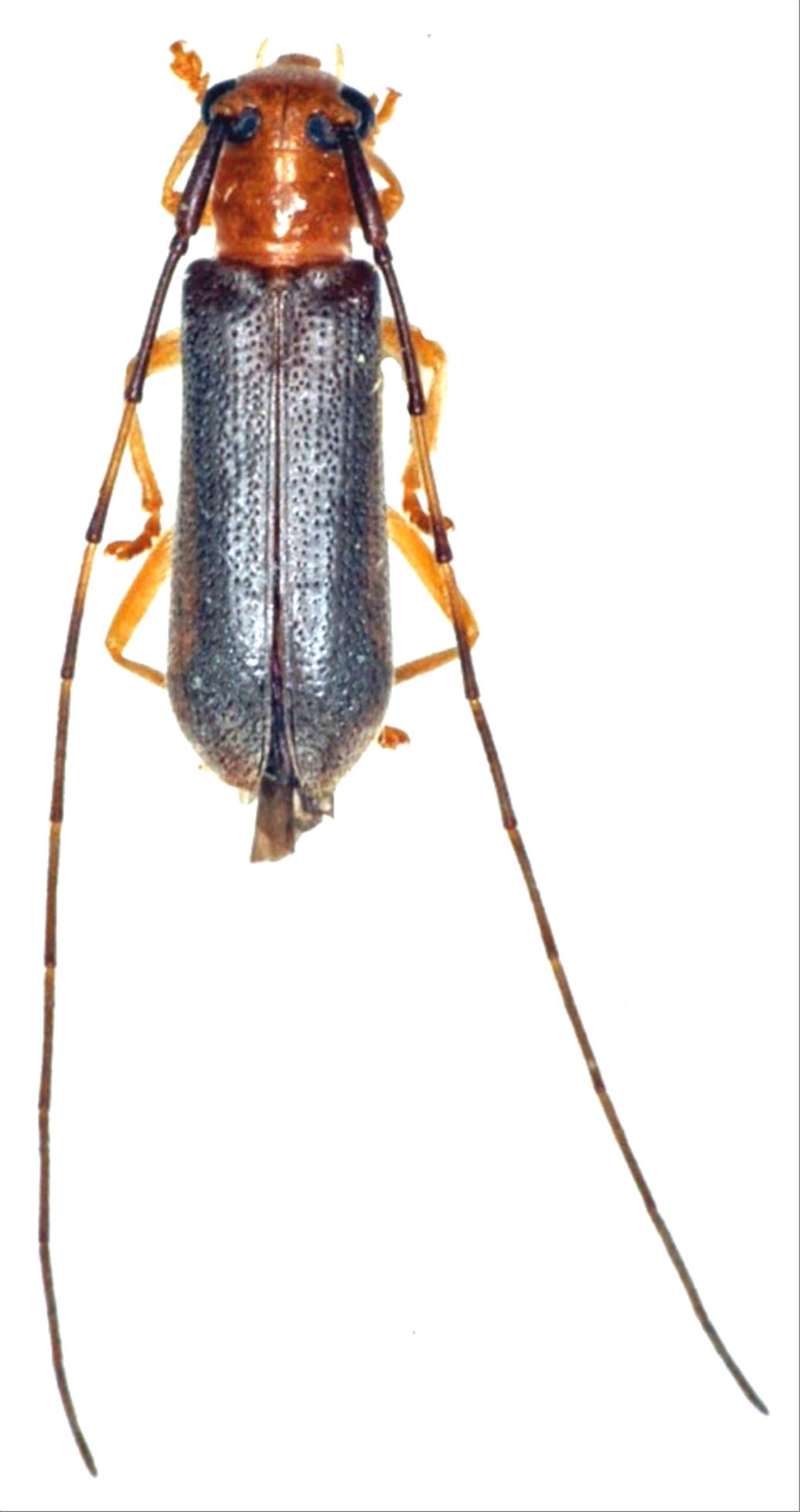
ヒゲナガヒメルリカミキリ
カミキリムシ科
フトカミキリ亜科


Praolia citrinipes citrinipes  Bates, 1884
Cerambycidae
Lamiinae
標本データ
性:メス
体長(mm):8
採集日:1975/06/19
採集地(国):日本
採集地(都道府県):長崎県
採集地(市町村):対馬市峰町大星山
採集地(詳細):
更新日:2017/08/08



戻る