日本産カミキリムシ

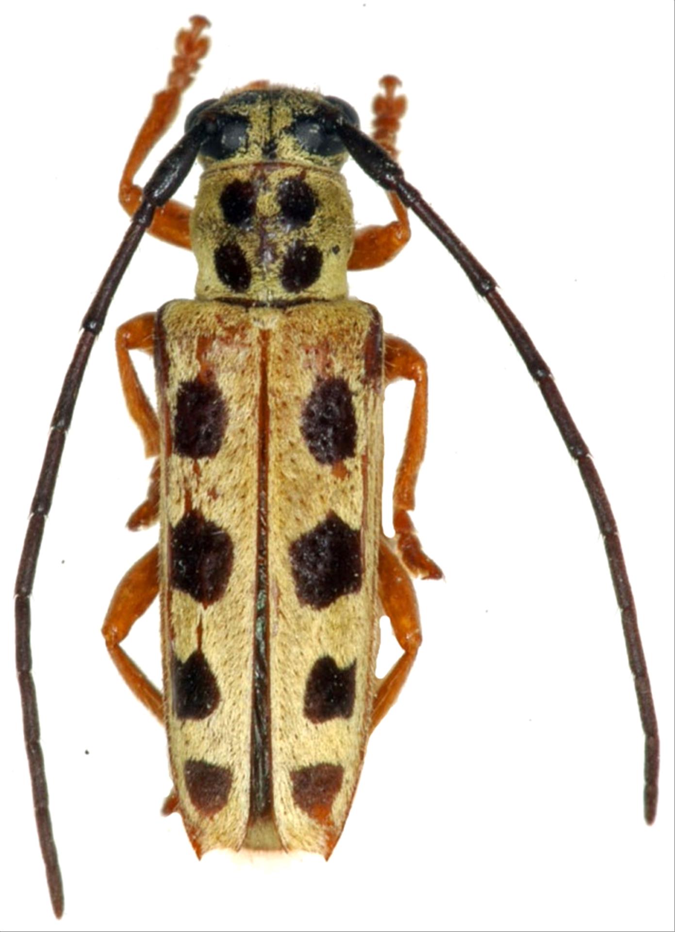
アマミモンキカミキリ
カミキリムシ科
フトカミキリ亜科


Glenea iriei iriei  Hayashi, 1971
Cerambycidae
Lamiinae
標本データ
性:メス
体長(mm):9
採集日:1972/07/05
採集地(国):日本
採集地(都道府県):鹿児島県
採集地(市町村):瀬戸内町八津野
採集地(詳細):奄美大島
更新日:2017/08/08



戻る