日本産カミキリムシ

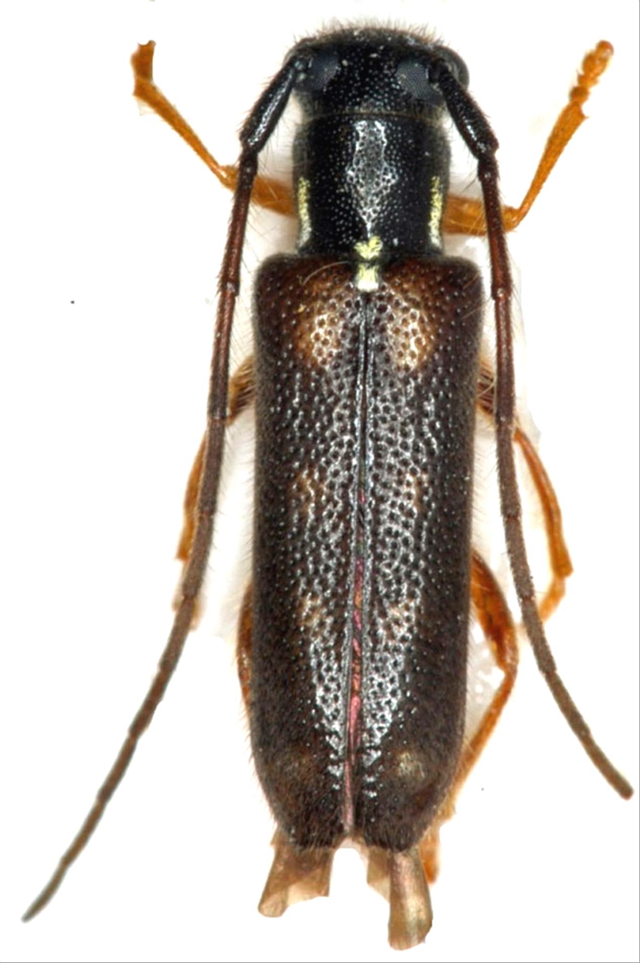
クロキモンカミキリ
カミキリムシ科
フトカミキリ亜科


Menesia akemiae  Makihara, 1992
Cerambycidae
Lamiinae
標本データ
性:オス
体長(mm):7
採集日:2004/07/03
採集地(国):日本
採集地(都道府県):高知県
採集地(市町村):物部町西熊林道
採集地(詳細):
更新日:2017/08/08



戻る