日本産カミキリムシ

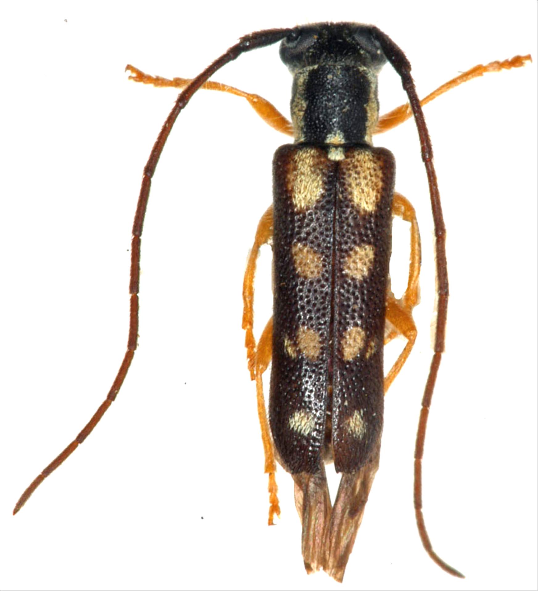
キモンカミキリ
カミキリムシ科
フトカミキリ亜科


Menesia sulphurata  (Gebler, 1825)
Cerambycidae
Lamiinae
標本データ
性:オス
体長(mm):8
採集日:1982/06/19 〜 1982/06/20
採集地(国):日本
採集地(都道府県):福島県
採集地(市町村):檜枝岐村
採集地(詳細):
更新日:2017/08/08



戻る