日本産カミキリムシ

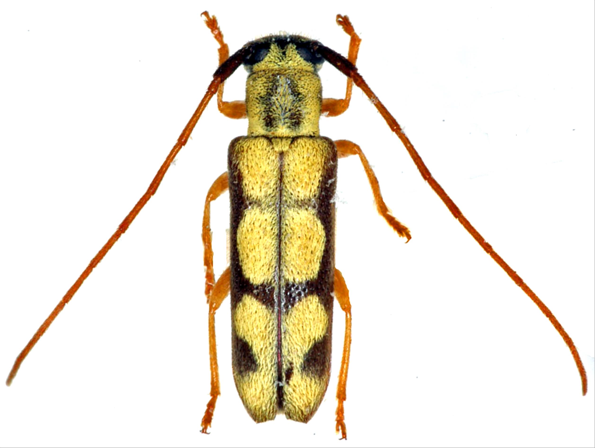
オニグルミノキモンカミキリ
カミキリムシ科
フトカミキリ亜科


Menesia flavotecta  Meyden, 1886
Cerambycidae
Lamiinae
標本データ
性:メス
体長(mm):9
採集日:1982/07/10 〜 1982/07/11
採集地(国):日本
採集地(都道府県):福島県
採集地(市町村):檜枝岐村
採集地(詳細):
更新日:2017/08/08



戻る