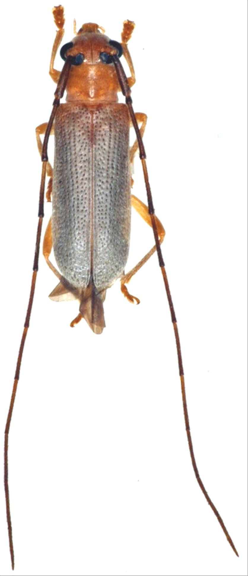
日本産カミキリムシ

ヒゲナガウスシロカミキリ
カミキリムシ科
フトカミキリ亜科


Praolia citrinipes umui  Kusama et Takakuwa, 1984
Cerambycidae
Lamiinae
標本データ
性:メス
体長(mm):9
採集日:1990/06/01 〜 1990/06/14
採集地(国):日本
採集地(都道府県):神奈川県
採集地(市町村):逗子市
採集地(詳細):
更新日:2017/08/08



戻る