|
|
|
|
|
|
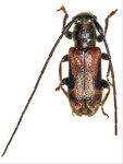
ニイジマチビカミキリ Egesina bifaseiana bifasciana (Matsushita, 1933) メス 福島県 |
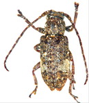
ツシマニイジマチビカミキリ Egesina bifaseiana tsushimae Breuning et K. Ohbayashi, 1964 メス 長崎県 |
ウスキアラゲサビカミキリ Egesina fujiiwarai Toyoshima, 1993 オス 鹿児島県 |
ウスキアラゲサビカミキリ Egesina fujiiwarai Toyoshima, 1993 メス 鹿児島県 |
ツヤアラゲサビカミキリ Egesina picea Hayashi, 1962 オス 鹿児島県 |
ツヤアラゲサビカミキリ Egesina picea Hayashi, 1962 メス 鹿児島県 |
|
|
|
|
|
|
ムモンアラゲサビカミキリ Egesina flavoapicalis Hayashi, 1971 オス 沖縄県 |
ムモンアラゲサビカミキリ Egesina flavoapicalis Hayashi, 1971 メス 沖縄県 |
シバタアラゲサビカミキリ Egesina shibatai Hayashi, 1962 オス 鹿児島県 |
シバタアラゲサビカミキリ Egesina shibatai Hayashi, 1962 メス 鹿児島県 |
イシガキシロオビサビカミキリ Pterolophia kaleea (Bates, 1866) オス 沖縄県 |
イシガキシロオビサビカミキリ Pterolophia kaleea (Bates, 1866) メス 沖縄県 |
|
|
|
|
|
|
アトジロサビカミキリ Pterolophia zonata (Bates, 1873) オス 福島県 |
アトジロサビカミキリ Pterolophia zonata (Bates, 1873) メス 福島県 |
クリサビカミキリ Pterolophia castaneivora K. Ohbayashi et Hayashi, 1962 オス 岡山県 |
クリサビカミキリ Pterolophia castaneivora K. Ohbayashi et Hayashi, 1962 メス 岩手県 |
ヒメナガサビカミキリ Pterolophia leiopodina (Bates, 1873) オス 和歌山県 |
ヒメナガサビカミキリ Pterolophia leiopodina (Bates, 1873) メス 和歌山県 |