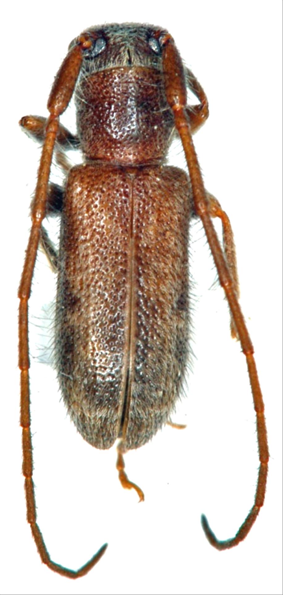
日本産カミキリムシ

ムモンアラゲサビカミキリ
カミキリムシ科
フトカミキリ亜科


Egesina flavoapicalis  Hayashi, 1971
Cerambycidae
Lamiinae
標本データ
性:オス
体長(mm):4.5
採集日:2004/09/17
採集地(国):日本
採集地(都道府県):沖縄県
採集地(市町村):名護市名護岳
採集地(詳細):
更新日:2017/08/08



戻る