日本産カミキリムシ

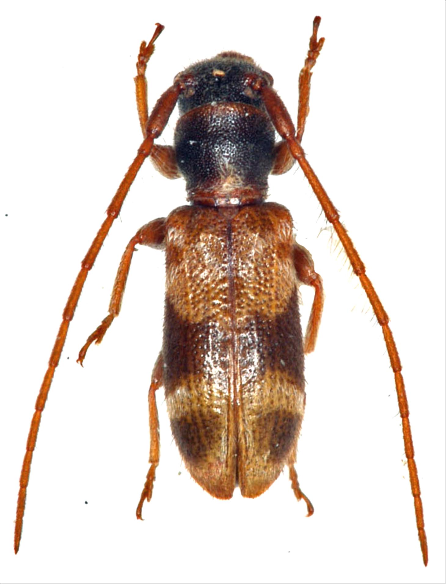
ニイジマチビカミキリ
カミキリムシ科
フトカミキリ亜科


Egesina bifaseiana bifasciana  (Matsushita, 1933)
Cerambycidae
Lamiinae
標本データ
性:メス
体長(mm):5.5
採集日:1984/07/14
採集地(国):日本
採集地(都道府県):福島県
採集地(市町村):南会津町舘岩
採集地(詳細):
更新日:2017/08/08



戻る