日本産カミキリムシ

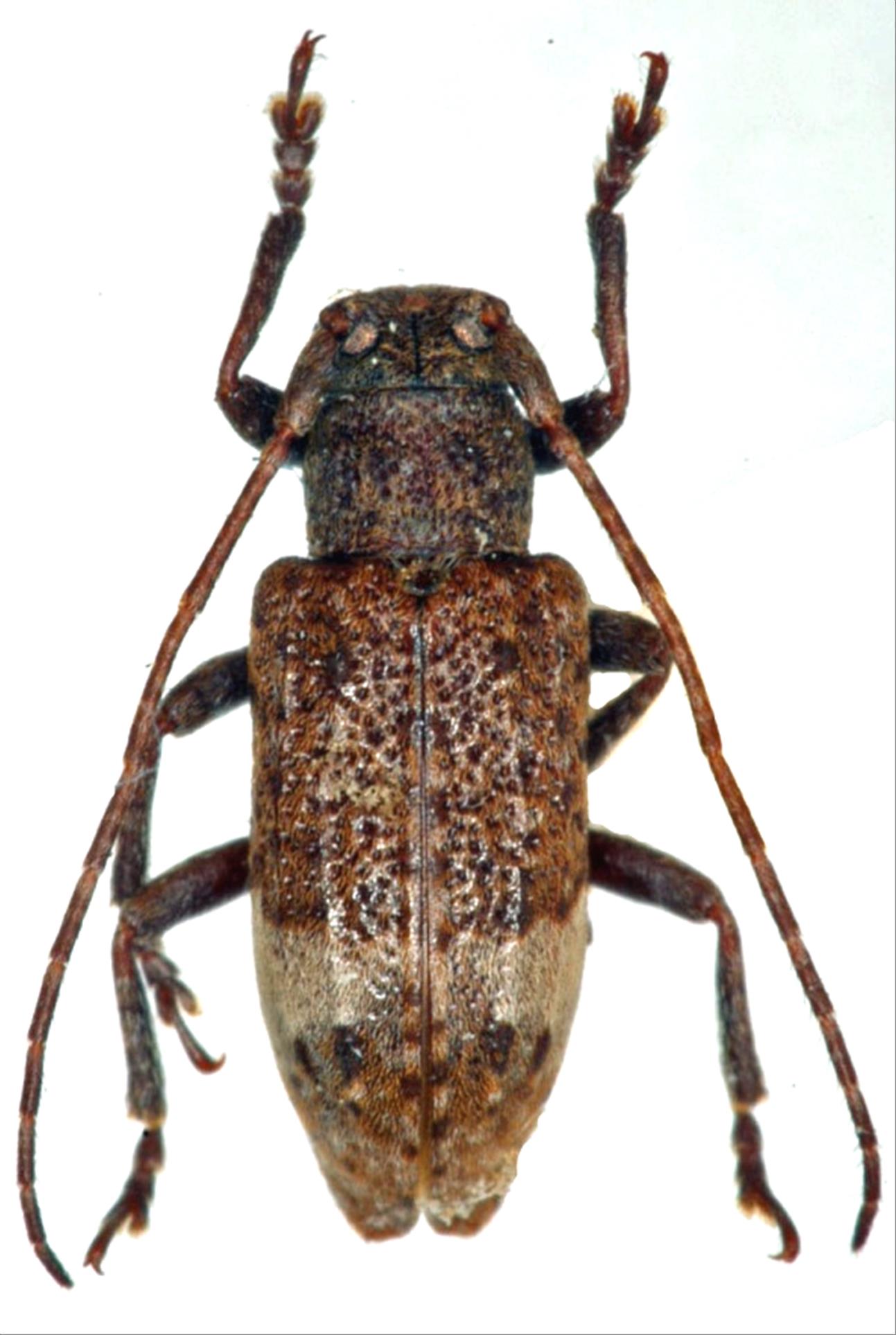
クリサビカミキリ
カミキリムシ科
フトカミキリ亜科


Pterolophia castaneivora  K. Ohbayashi et Hayashi, 1962
Cerambycidae
Lamiinae
標本データ
性:オス
体長(mm):7
採集日:1978/06/17
採集地(国):日本
採集地(都道府県):岡山県
採集地(市町村):鏡野町上齋原
採集地(詳細):
更新日:2017/08/08



戻る