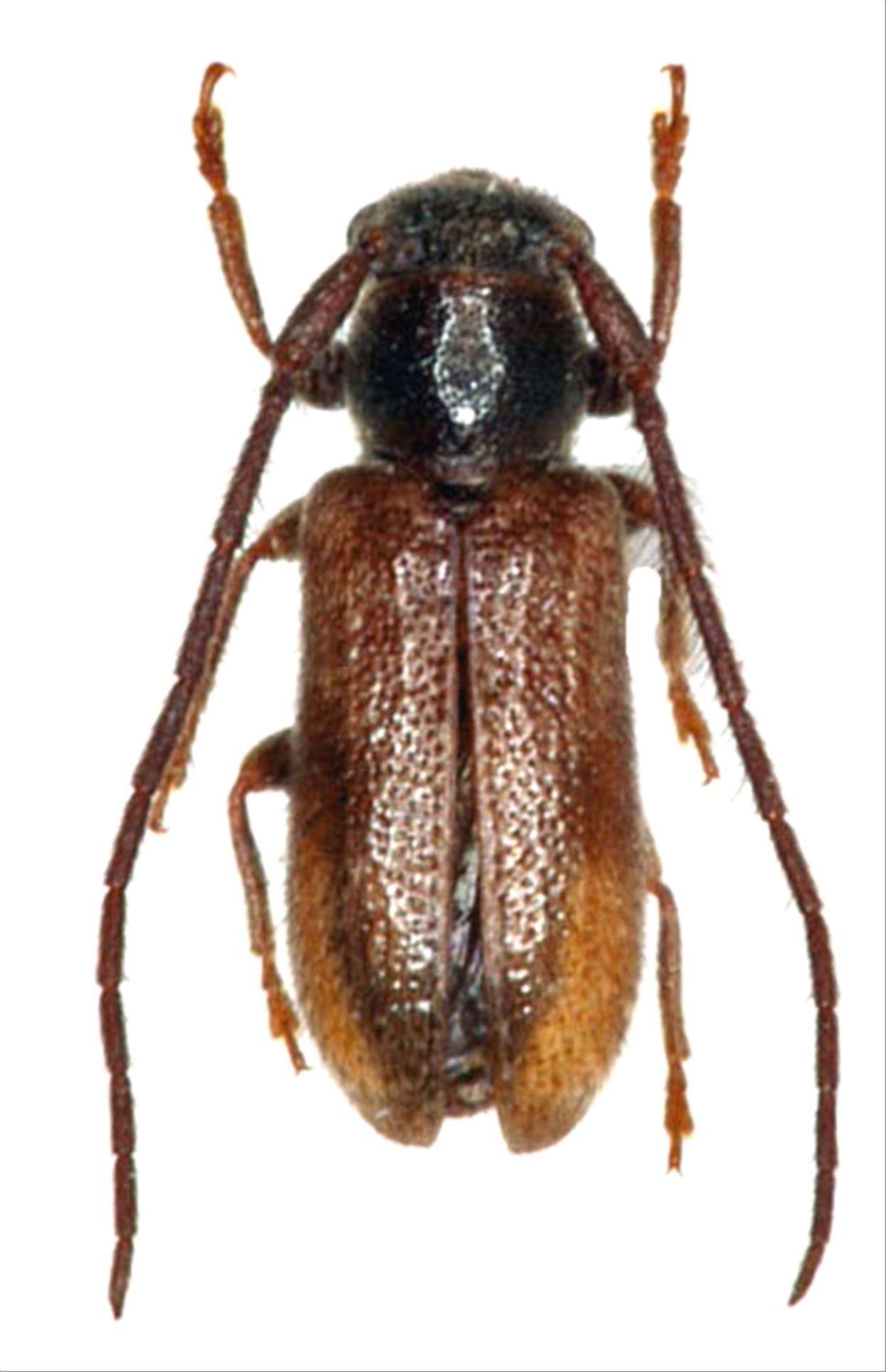
日本産カミキリムシ

ウスキアラゲサビカミキリ
カミキリムシ科
フトカミキリ亜科


Egesina fujiiwarai  Toyoshima, 1993
Cerambycidae
Lamiinae
標本データ
性:メス
体長(mm):4
採集日:2002/06
採集地(国):日本
採集地(都道府県):鹿児島県
採集地(市町村):南大隅町杉山谷
採集地(詳細):
更新日:2017/08/08



戻る