日本産カミキリムシ

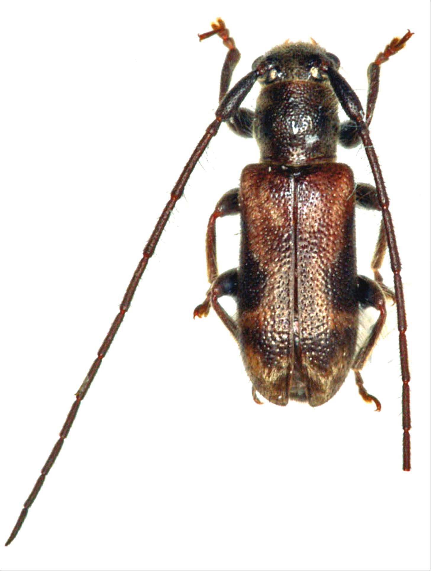
ツヤアラゲサビカミキリ
カミキリムシ科
フトカミキリ亜科


Egesina picea  Hayashi, 1962
Cerambycidae
Lamiinae
標本データ
性:オス
体長(mm):5.5
採集日:1993/06/10 〜 1993/06/12
採集地(国):日本
採集地(都道府県):鹿児島県
採集地(市町村):奄美大島
採集地(詳細):
更新日:2017/08/08



戻る