日本産カミキリムシ

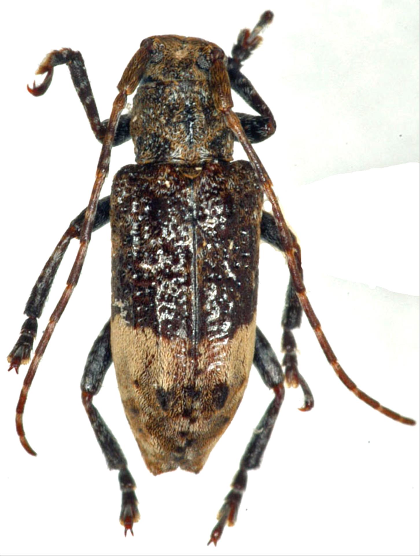
アトジロサビカミキリ
カミキリムシ科
フトカミキリ亜科


Pterolophia zonata  (Bates, 1873)
Cerambycidae
Lamiinae
標本データ
性:オス
体長(mm):8.9
採集日:1983/07/29 〜 1983/07/30
採集地(国):日本
採集地(都道府県):福島県
採集地(市町村):南会津町舘岩
採集地(詳細):
更新日:2017/08/08



戻る