日本産カミキリムシ

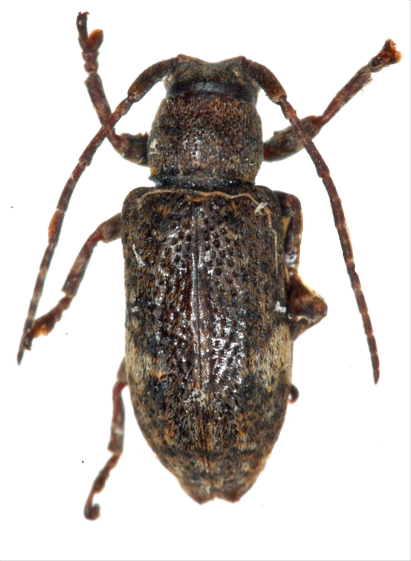
イシガキシロオビサビカミキリ
カミキリムシ科
フトカミキリ亜科


Pterolophia kaleea  (Bates, 1866)
Cerambycidae
Lamiinae
標本データ
性:メス
体長(mm):6.5
採集日:1970/06/25 〜 1970/06/28
採集地(国):日本
採集地(都道府県):沖縄県
採集地(市町村):竹富町仲良川
採集地(詳細):西表島
更新日:2017/08/08



戻る