|   |   |   |   |   |   | 
                                 
                                    | アオスジカミキリ Xystrocera
 globosa
 (Olivier, 1795)
 オス 茨城県
 | アオスジカミキリ Xystrocera
 globosa
 (Olivier, 1795)
 メス 茨城県
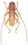
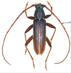
 | ベーツヤサカミキリ Leptoxenus
 ibidiiformis
 Bates, 1877
 オス 長崎県
 | ベーツヤサカミキリ Leptoxenus
 ibidiiformis
 Bates, 1877
 メス 福岡県
 | マルクビケマダラカミキリ Trichoferus
 campestris
 (Faldermann, 1835)
 オス 和歌山県
 | マルクビケマダラカミキリ Trichoferus
 campestris
 (Faldermann, 1835)
 メス 北海道
 | 
                                
                                
                                
                                
                                                                 
                                    |   |   |   |   |   |   | 
                                 
                                 
                                 
                                    | イエカミキリ Stromatium
 longicorne
 (Newman, 1842)
 オス 沖縄県
 | イエカミキリ Stromatium
 longicorne
 (Newman, 1842)
 メス 鹿児島県
 | フタツメイエカミキリ Gnatholea
 biseburata
 Mitono, 1939
 オス 沖縄県
 | フタツメイエカミキリ Gnatholea
 biseburata
 Mitono, 1939
 メス 沖縄県
 | クロモンキイロイエカミキリ Zoodes
 japonicus
 Hayashi, 1963
 オス 鹿児島県
 | クロモンキイロイエカミキリ Zoodes
 japonicus
 Hayashi, 1963
 メス 鹿児島県
 | 
                                                                 
                                
                                
                                                                 
                                    |   |   |   |   |   |   | 
                                 
                                    | ムネスジウスバカミキリ Nortia
 carinicollis
 Schwarzer, 1925
 オス 沖縄県
 | ムネスジウスバカミキリ Nortia
 carinicollis
 Schwarzer, 1925
 メス 沖縄県
 | オガサワラムネスジウスバカミキリ Nortia
 kusuii
 Kusama et Nara,
 メス 東京都
 | サツマムネスジウスバカミキリ Nortia
 geniculata
 satsumana
 Niisato et N. Ohbayashi, 2005
 メス 鹿児島県
 | トビイロカミキリ Allotraeus
 sphaerioninus
 Bates, 1877
 オス 長崎県
 | トビイロカミキリ Allotraeus
 sphaerioninus
 Bates, 1877
 メス 鹿児島県
 |