日本産カミキリムシ

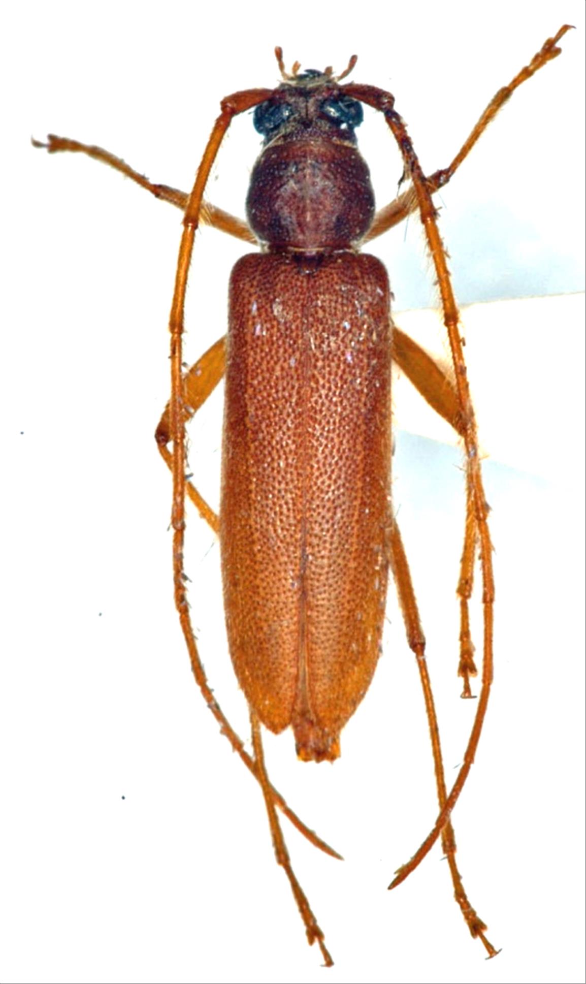
ムネスジウスバカミキリ
カミキリムシ科
カミキリ亜科


Nortia carinicollis  Schwarzer, 1925
Cerambycidae
Cerambycinae
標本データ
性:メス
体長(mm):15
採集日:1974/06/10
採集地(国):日本
採集地(都道府県):沖縄県
採集地(市町村):石垣市バンナ岳
採集地(詳細):
更新日:2017/08/08



戻る