日本産カミキリムシ

オガサワラムネスジウスバカミキリ
カミキリムシ科
カミキリ亜科


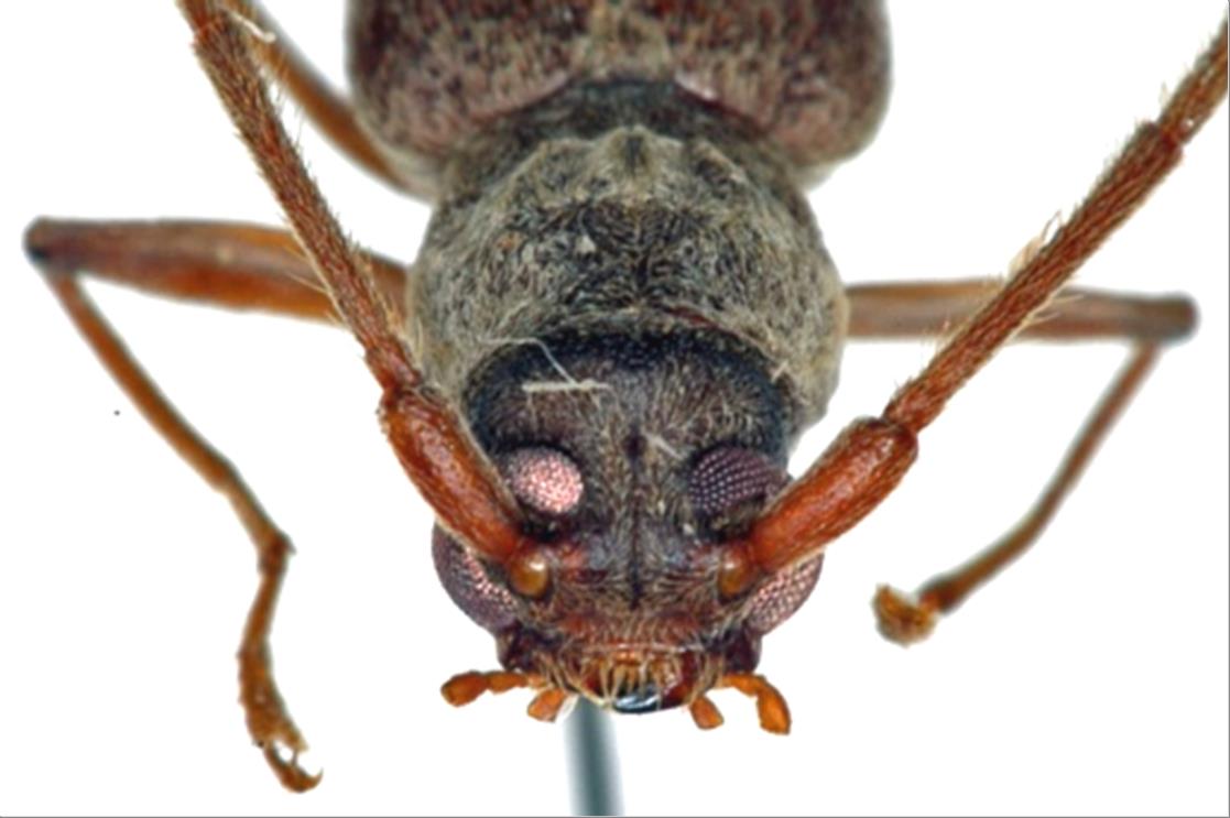
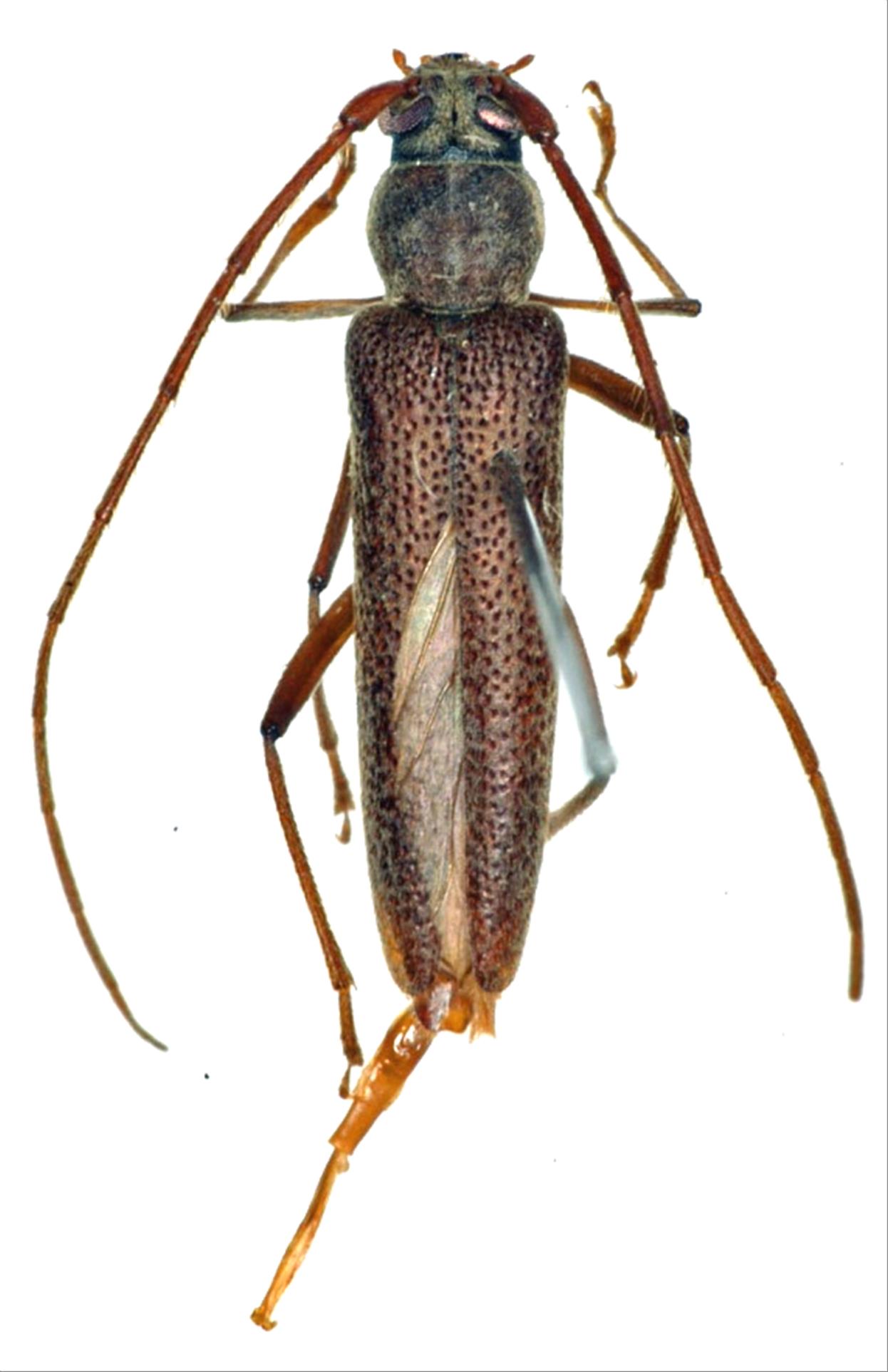
Nortia kusuii  Kusama et Nara,
Cerambycidae
Cerambycinae
標本データ
性:メス
体長(mm):12
採集日:2007/06/25
採集地(国):日本
採集地(都道府県):東京都
採集地(市町村):小笠原村母島西浦桑の木山
採集地(詳細):
更新日:2017/08/08



戻る