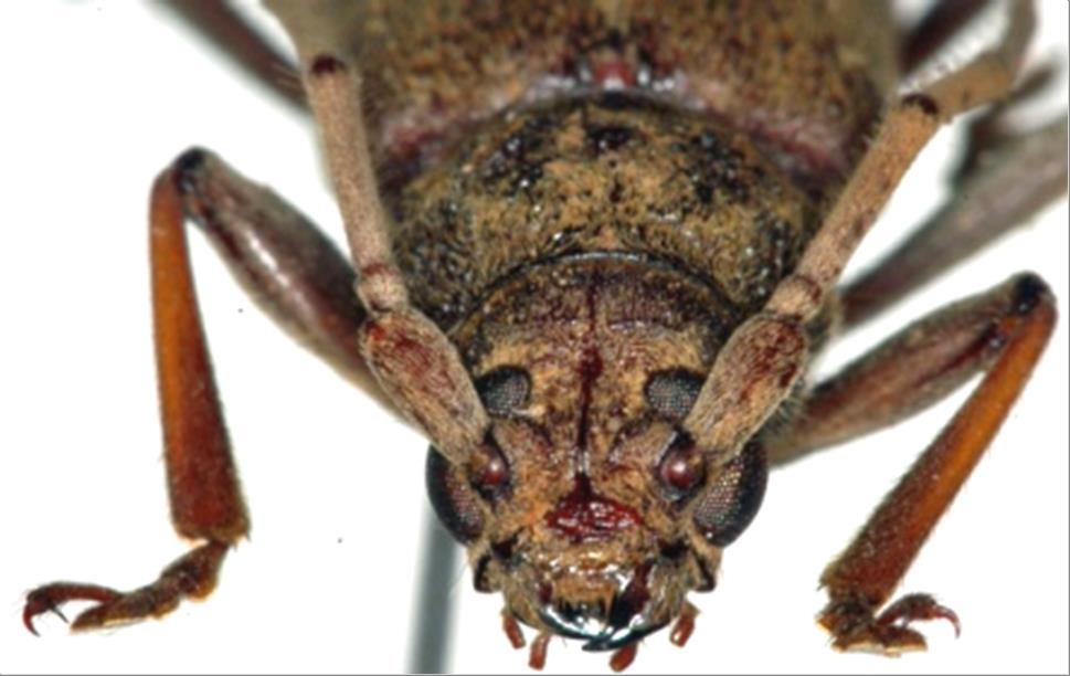
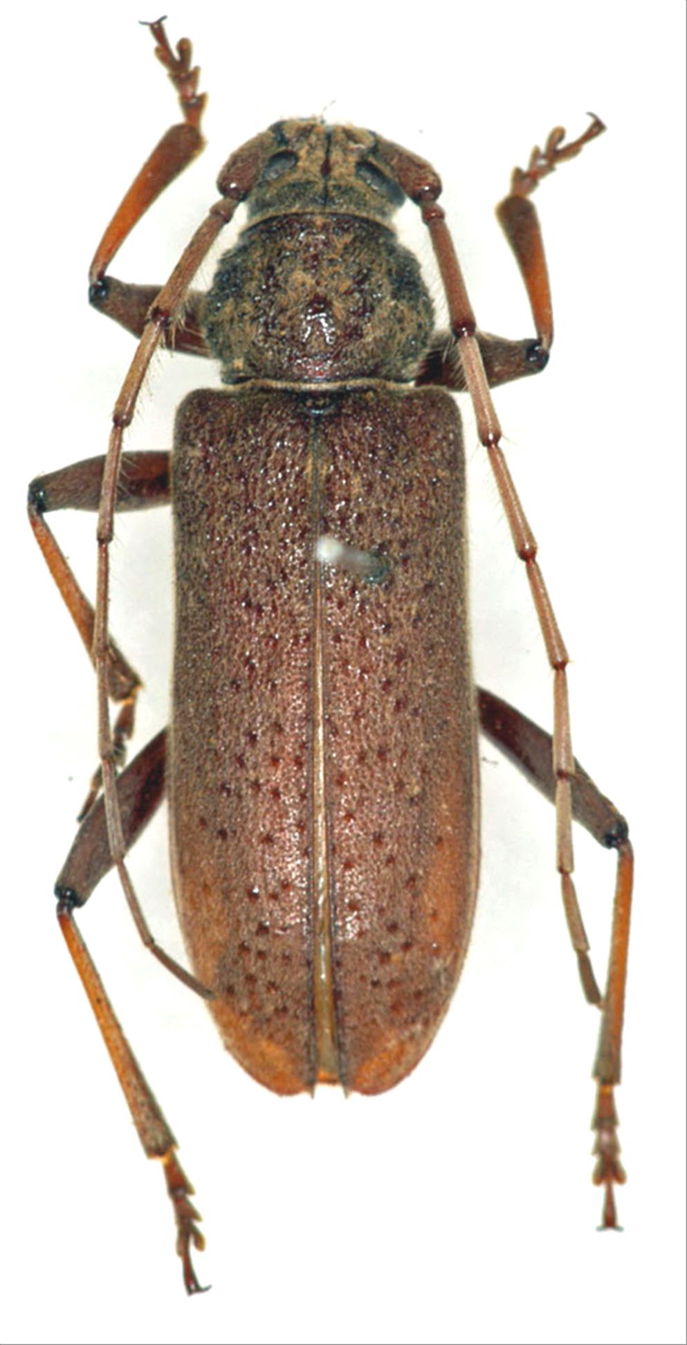
日本産カミキリムシ

イエカミキリ
カミキリムシ科
カミキリ亜科


Stromatium longicorne  (Newman, 1842)
Cerambycidae
Cerambycinae
標本データ
性:メス
体長(mm):24
採集日:1969/07/26 〜 1969/07/28
採集地(国):日本
採集地(都道府県):鹿児島県
採集地(市町村):奄美市住用町西仲間
採集地(詳細):
更新日:2017/08/08



戻る