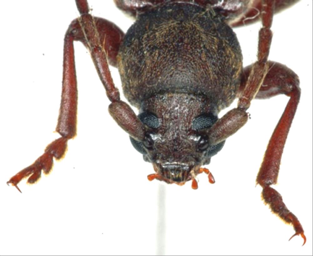
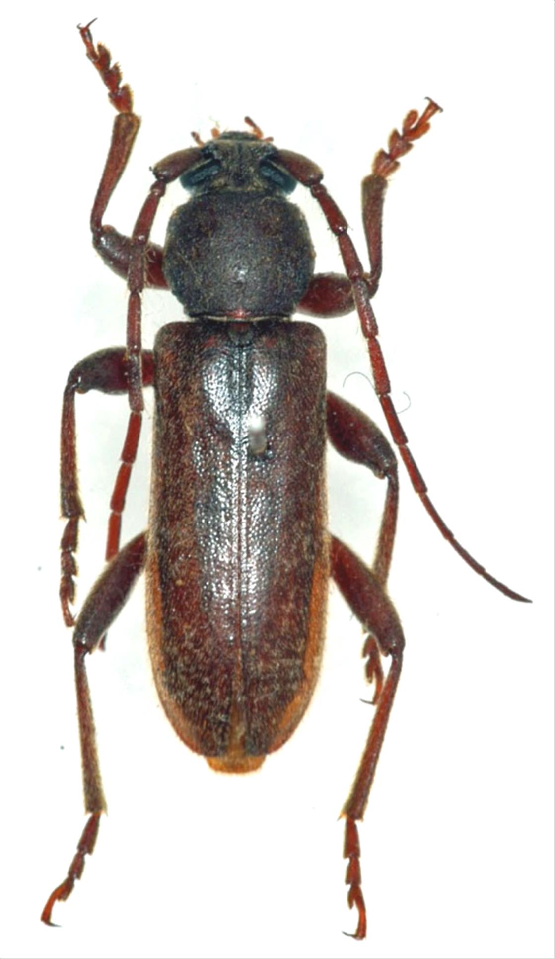
日本産カミキリムシ

マルクビケマダラカミキリ
カミキリムシ科
カミキリ亜科


Trichoferus campestris  (Faldermann, 1835)
Cerambycidae
Cerambycinae
標本データ
性:オス
体長(mm):19
採集日:1976/06/22
採集地(国):日本
採集地(都道府県):和歌山県
採集地(市町村):湯浅町
採集地(詳細):
更新日:2017/08/08



戻る