日本産カミキリムシ

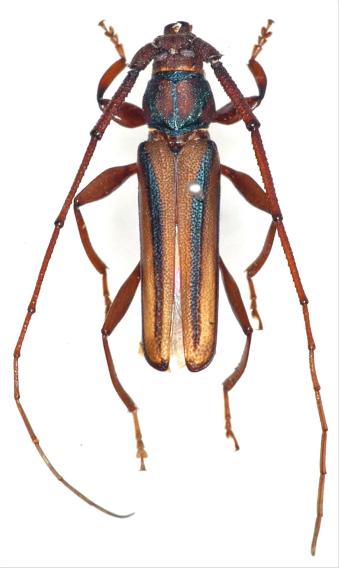
アオスジカミキリ
カミキリムシ科
カミキリ亜科


Xystrocera globosa  (Olivier, 1795)
Cerambycidae
Cerambycinae
標本データ
性:オス
体長(mm):19
採集日:1995
採集地(国):日本
採集地(都道府県):茨城県
採集地(市町村):つくば市
採集地(詳細):
更新日:2017/08/08



戻る