日本産カミキリムシ

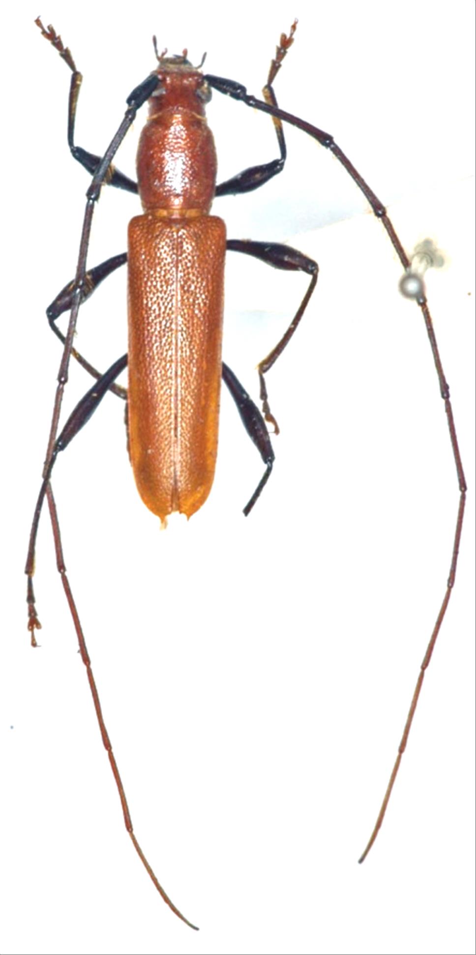
トビイロカミキリ
カミキリムシ科
カミキリ亜科


Allotraeus sphaerioninus  Bates, 1877
Cerambycidae
Cerambycinae
標本データ
性:オス
体長(mm):14
採集日:1983/07/05 〜 1983/07/09
採集地(国):日本
採集地(都道府県):長崎県
採集地(市町村):対馬市峰町大星山
採集地(詳細):
更新日:2017/08/08



戻る