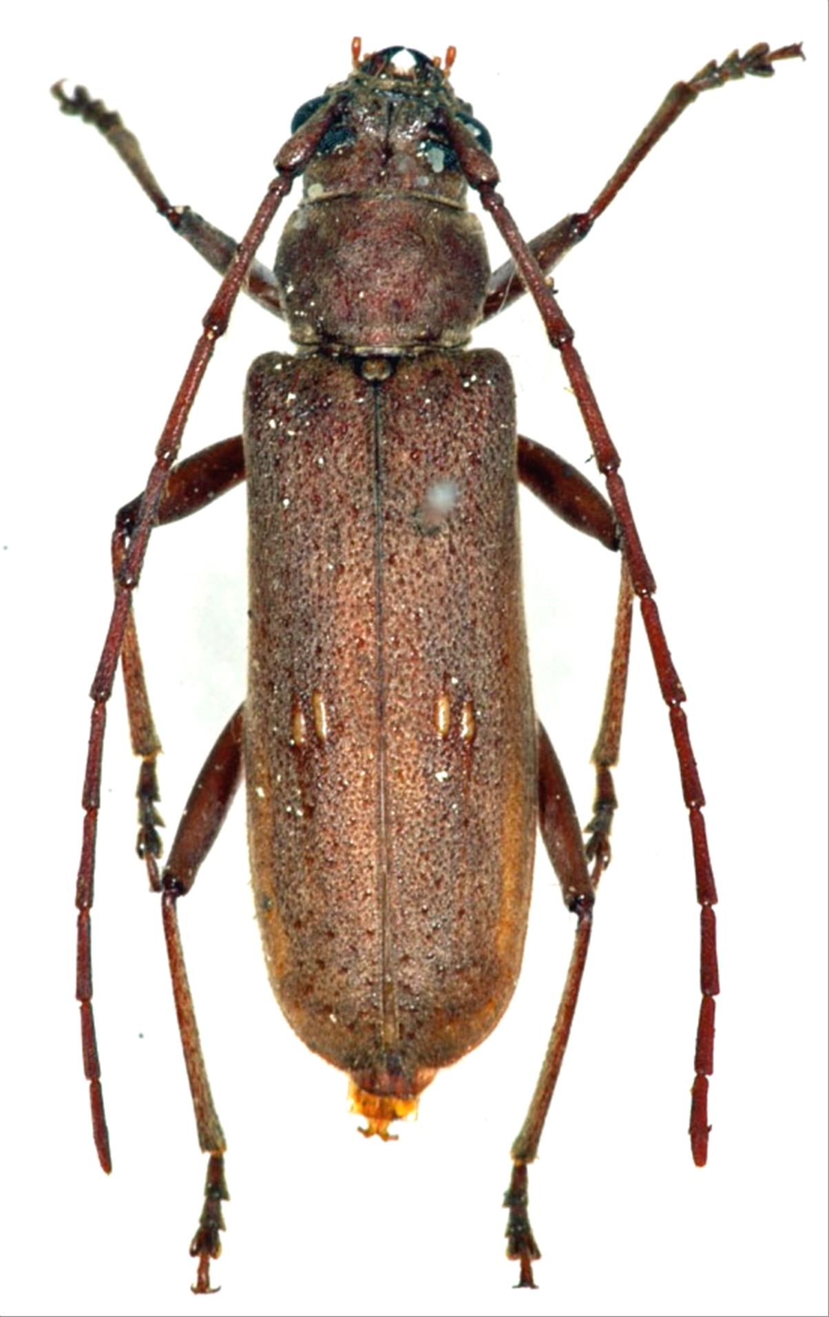
日本産カミキリムシ

フタツメイエカミキリ
カミキリムシ科
カミキリ亜科


Gnatholea biseburata  Mitono, 1939
Cerambycidae
Cerambycinae
標本データ
性:メス
体長(mm):21
採集日:1970/07/10
採集地(国):日本
採集地(都道府県):沖縄県
採集地(市町村):石垣市バンナ岳
採集地(詳細):
更新日:2017/08/08



戻る