|
|
|
|
|
|
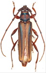
ミヤマカミキリ Neocerambyx raddei Blessig, 1872 オス 長崎県 |
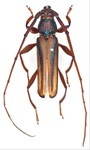
ミヤマカミキリ Neocerambyx raddei Blessig, 1872 メス 長崎県 |
ニッポンムネヒダミヤマカミキリ Nadezhdiella japonica Hayashi, 1972 メス 沖縄県 |
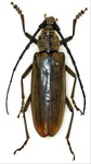
トゲムネミヤマカミキリ Tryrachys orientalis Hope, 1841 オス 長崎県 |
トゲムネミヤマカミキリ Tryrachys orientalis Hope, 1841 メス 長崎県 |
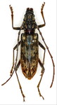
キマダラミヤマカミキリ Aeolesthes chrysothrix chrysothrix (Bates, 1873) オス 長崎県 |
|
|
|
|
|
|
キマダラミヤマカミキリ Aeolesthes chrysothrix chrysothrix (Bates, 1873) メス 鹿児島県 |
トクノシマキマダラミヤマカミキリ Aeolesthes chrysothrix kurosawai (Gressitt, 1965) オス 鹿児島県 |
トクノシマキマダラミヤマカミキリ Aeolesthes chrysothrix kurosawai (Gressitt, 1965) メス 鹿児島県 |
ヨナグニキマダラミヤマカミキリ Aeolesthes chrysothrix yonaguniensis (K. Ohbayashi et N. Ohbayashi, 1956) メス 沖縄県 |
キマダラヒメミヤマカミキリ Dymasius hirayamai Matsushita, 1941 オス 沖縄県 |
キイロミヤマカミキリ Margites fulvidus (Pascoe, 1858) オス 鹿児島県 |
|
|
|
|
|
|
キイロミヤマカミキリ Margites fulvidus (Pascoe, 1858) メス 鹿児島県 |
アオスジカミキリ Xystrocera globosa (Olivier, 1795) オス 茨城県 |
アオスジカミキリ Xystrocera globosa (Olivier, 1795) メス 茨城県 |
ベーツヤサカミキリ Leptoxenus ibidiiformis Bates, 1877 オス 長崎県 |
ベーツヤサカミキリ Leptoxenus ibidiiformis Bates, 1877 メス 福岡県 |
マルクビケマダラカミキリ Trichoferus campestris (Faldermann, 1835) オス 和歌山県 |