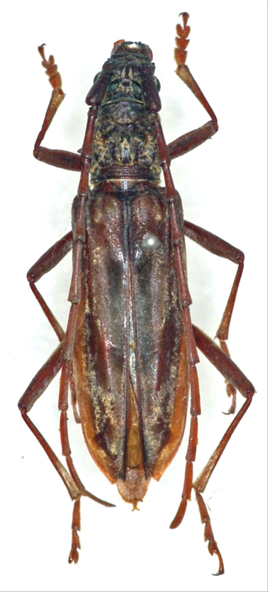
日本産カミキリムシ

キマダラミヤマカミキリ
カミキリムシ科
カミキリ亜科


Aeolesthes chrysothrix chrysothrix  (Bates, 1873)
Cerambycidae
Cerambycinae
標本データ
性:メス
体長(mm):30
採集日:1973/07/21
採集地(国):日本
採集地(都道府県):鹿児島県
採集地(市町村):屋久島町白谷
採集地(詳細):
更新日:2017/08/08



戻る