日本産カミキリムシ

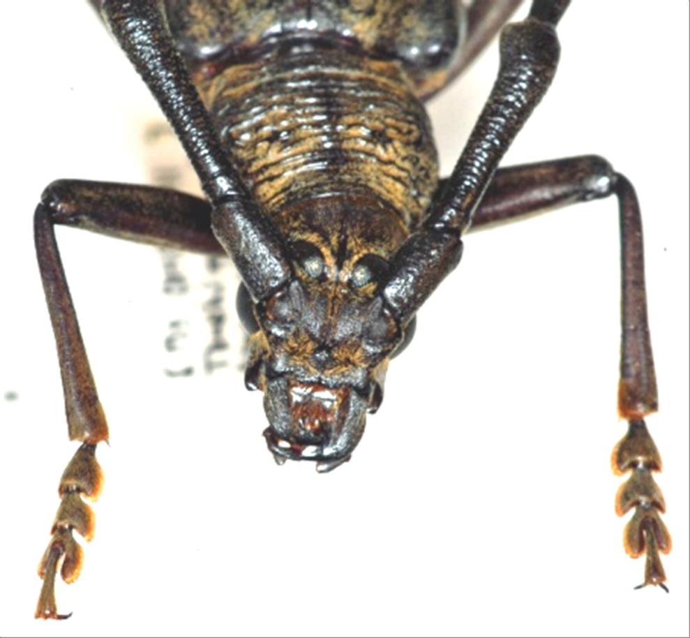
ミヤマカミキリ
カミキリムシ科
カミキリ亜科


Neocerambyx raddei  Blessig, 1872
Cerambycidae
Cerambycinae
標本データ
性:オス
体長(mm):48.5
採集日:1975/06/24
採集地(国):日本
採集地(都道府県):長崎県
採集地(市町村):対馬市峰町大星山
採集地(詳細):
更新日:2017/08/08



戻る