日本産カミキリムシ

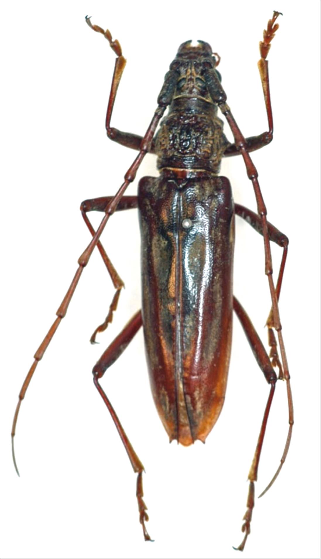
トクノシマキマダラミヤマカミキリ
カミキリムシ科
カミキリ亜科


Aeolesthes chrysothrix kurosawai  (Gressitt, 1965)
Cerambycidae
Cerambycinae
標本データ
性:メス
体長(mm):34.6
採集日:1980/07/20
採集地(国):日本
採集地(都道府県):鹿児島県
採集地(市町村):天城町三京
採集地(詳細):徳之島
更新日:2017/08/08



戻る