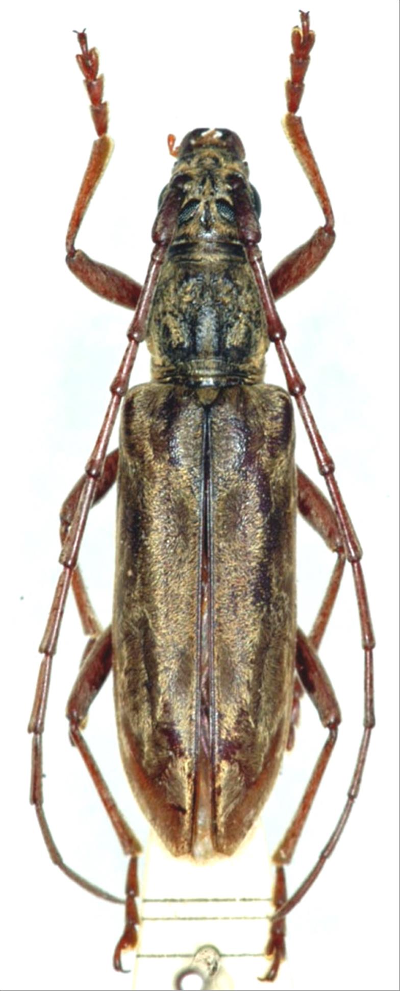
日本産カミキリムシ

キマダラヒメミヤマカミキリ
カミキリムシ科
カミキリ亜科


Dymasius hirayamai  Matsushita, 1941
Cerambycidae
Cerambycinae
標本データ
性:オス
体長(mm):18
採集日:1974/04/11
採集地(国):日本
採集地(都道府県):沖縄県
採集地(市町村):与那国町祖納
採集地(詳細):
更新日:2017/08/08



戻る