|
|
|
|
|
|
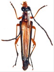
フタスジハナカミキリ Etorofua vicaria (Bates, 1884) メス 福島県 |
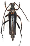
オオヨツスジハナカミキリ Bellamira regalis (Bates, 1884) オス 鹿児島県 |
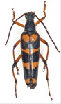
オオヨツスジハナカミキリ Bellamira regalis (Bates, 1884) メス 鹿児島県 |
オオヨツスジハナカミキリ Bellamira regalis (Bates, 1884) オス 高知県 |
オオヨツスジハナカミキリ Bellamira regalis (Bates, 1884) メス 高知県 |
オオヨツスジハナカミキリ Bellamira regalis (Bates, 1884) オス 北海道 |
|
|
|
|
|
|
オオヨツスジハナカミキリ Bellamira regalis (Bates, 1884) メス 北海道 |
オオクロハナカミキリ Macroleptura thoracica (Creutzer,1799) メス 北海道 |
オオクロハナカミキリ Macroleptura thoracica (Creutzer,1799) メス 北海道 |
オオクロハナカミキリ Macroleptura thoracica (Creutzer,1799) メス 北海道 |
モモブトハナカミキリ Oedecnema gebleri (Ganglbauer, 1899) オス 北海道 |
モモブトハナカミキリ Oedecnema gebleri (Ganglbauer, 1899) メス 北海道 |
|
|
|
|
|
|
カエデノヘリグロハナカミキリ Eustrangalis distenioides Bates, 1884 オス 秋田県 |
カエデノヘリグロハナカミキリ Eustrangalis distenioides Bates, 1884 メス 福島県 |
クロサワヘリグロハナカミキリ Eustrangalis anticereductus Hashi, 1958 オス 宮崎県 |
クロサワヘリグロハナカミキリ Eustrangalis anticereductus Hashi, 1958 メス 北海道 |
ヒゲジロハナカミキリ Japanostrangalia dentatipennis (Pic, 1901) オス 東京都 |
ヒゲジロハナカミキリ Japanostrangalia dentatipennis (Pic, 1901) メス 福島県 |