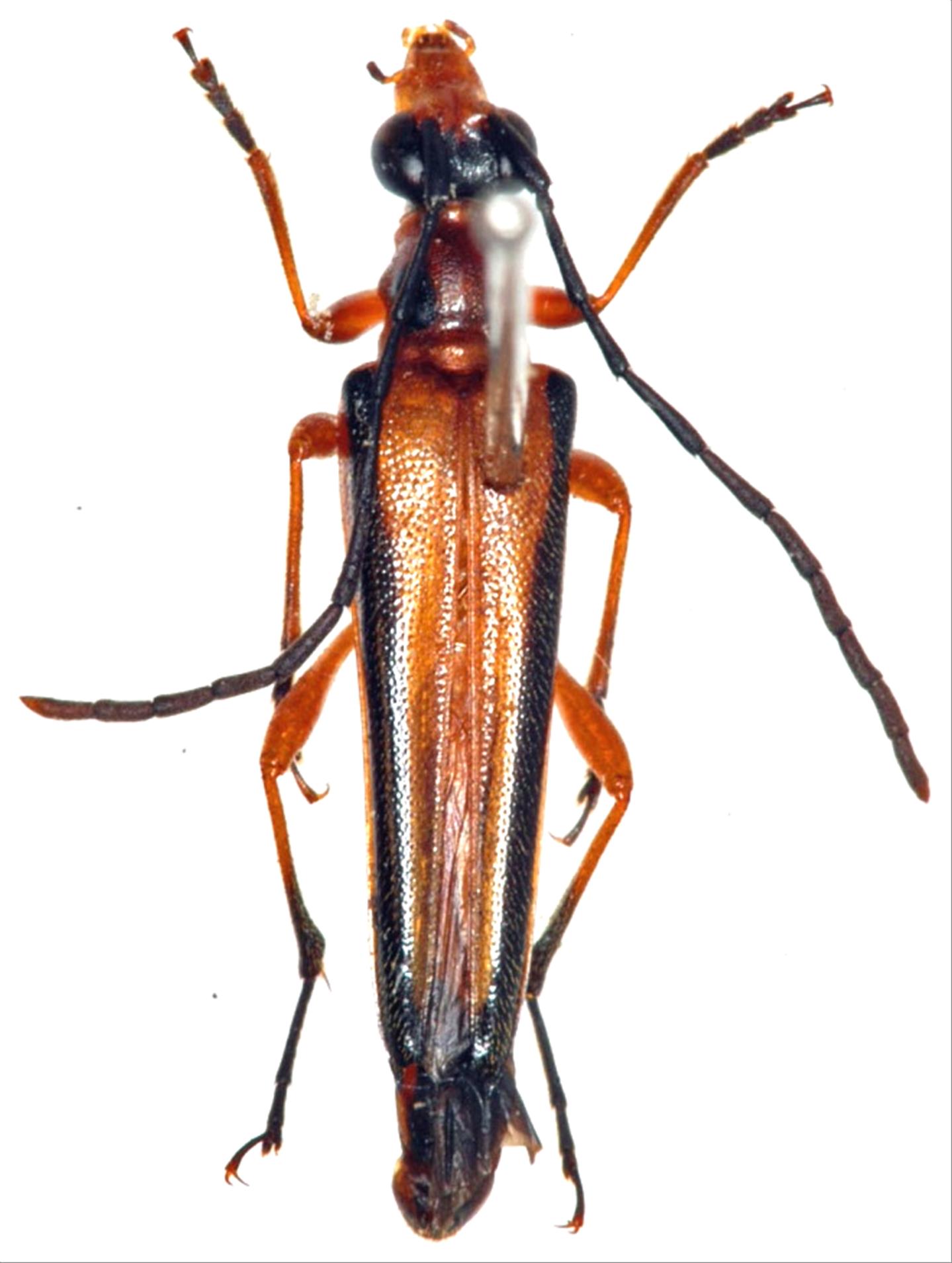
日本産カミキリムシ

カエデノヘリグロハナカミキリ
カミキリムシ科
ハナカミキリ亜科


Eustrangalis distenioides  Bates, 1884
Cerambycidae
Lepturinae
標本データ
性:メス
体長(mm):15
採集日:1981/06/13 〜 1981/06/14
採集地(国):日本
採集地(都道府県):福島県
採集地(市町村):檜枝岐
採集地(詳細):
更新日:2017/08/08



戻る