日本産カミキリムシ

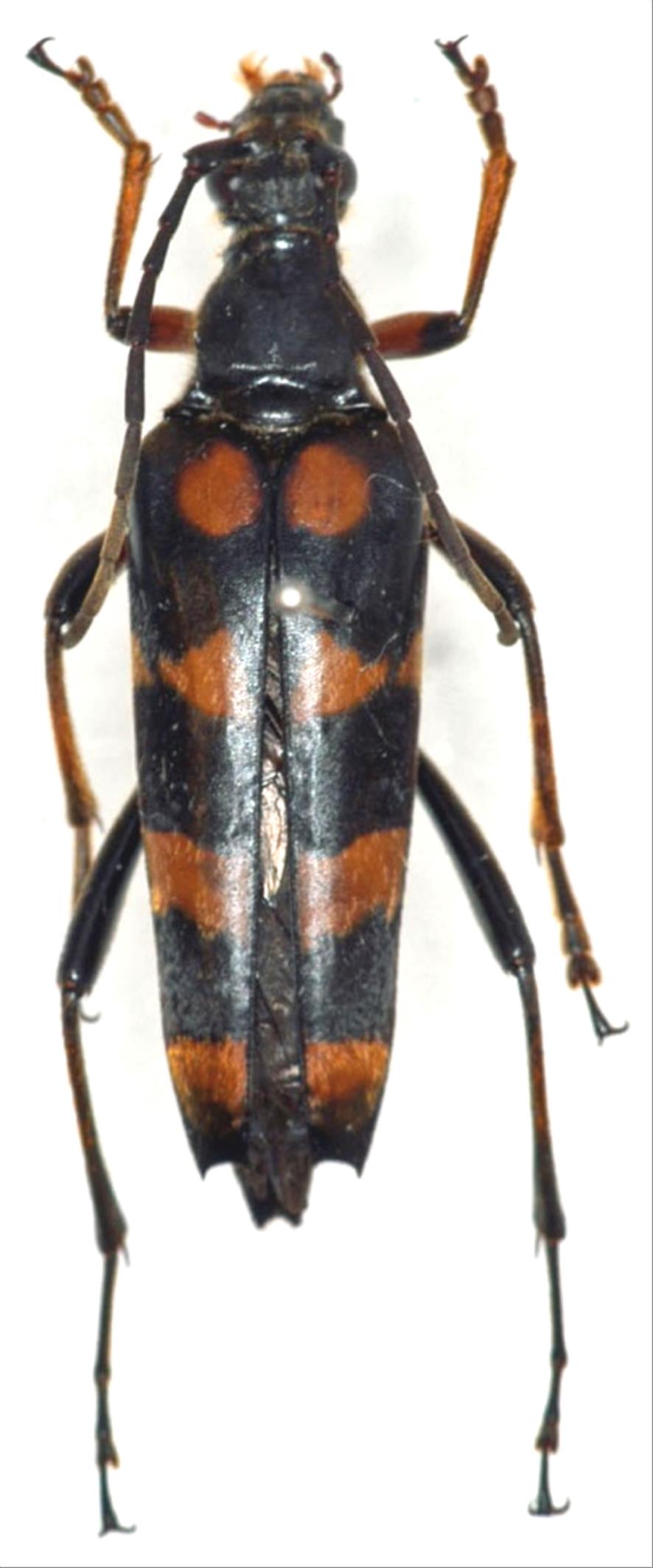
オオヨツスジハナカミキリ
カミキリムシ科
ハナカミキリ亜科


Bellamira regalis  (Bates, 1884)
Cerambycidae
Lepturinae
標本データ
性:メス
体長(mm):26
採集日:1994/07/01 〜 1994/07/15
採集地(国):日本
採集地(都道府県):高知県
採集地(市町村):仁淀町安居川
採集地(詳細):
更新日:2017/08/08



戻る